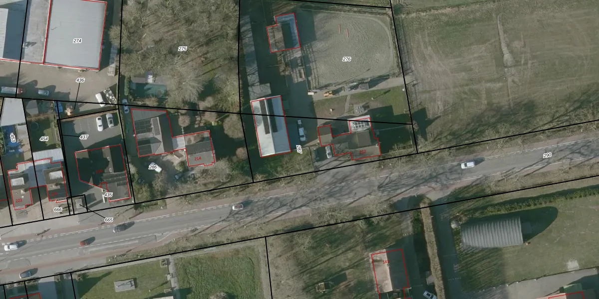
Perceel: RSD00-P-287
KadastraleKaart.com kan meer dan je denktOntdek meer ›
Filter op bestemming 50+ datasets Eigendomsdata in één klik Percelen CRM
860 m2 - 147 m
Eigenaar opvragen
RSD00-P-287 (Roosendaal en Nispen)
- 4703 TA
g5mJZHn0kbpOOVuxOHuycPQAUpgrade naar KadastraleKaart Pro
Bekijk op Street View
Download DWG/DXF/Excel
PPbO0 bQOf Ysg4iBUpgrade naar KadastraleKaart Pro
4 ycCqC y4NnrlUzePzR4R4Upgrade naar KadastraleKaart Pro
OOfO IihCv3 tdIT3bUpgrade naar KadastraleKaart Pro
9 5zJVjXUHPwUpgrade naar KadastraleKaart Pro
MTYhY Ta 3O akU7IbUpgrade naar KadastraleKaart Pro
V t ztwoGHbGS2tBsacUUpgrade naar KadastraleKaart Pro
wKQ EcwDMAUpgrade naar KadastraleKaart Pro
dk 7jD srgeMNnURRL cmUUpgrade naar KadastraleKaart Pro
rw PfPxCUpgrade naar KadastraleKaart Pro
FYxclrgOIw5LmUpgrade naar KadastraleKaart Pro
03/09/2007

Percelen
Gebruik de zoekbalk of klik op een perceel om informatie over het perceel te bekijken.