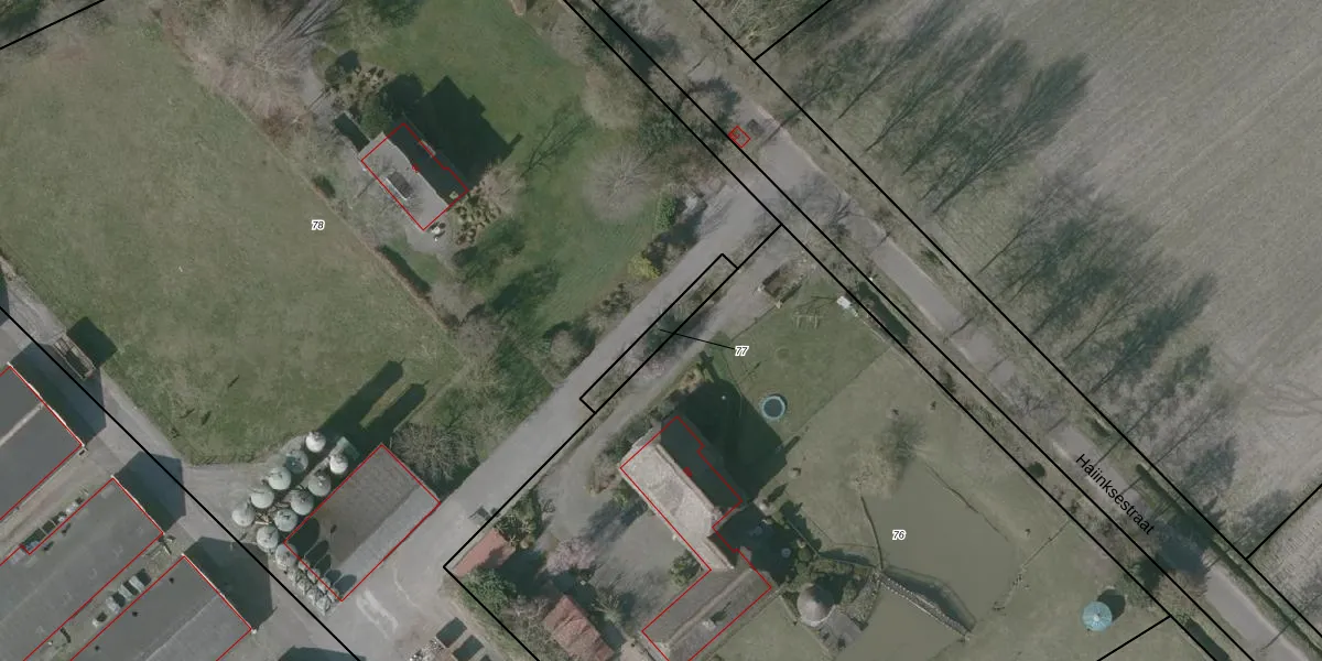
Perceel: RSD00-Q-77
KadastraleKaart.com kan meer dan je denktOntdek meer ›
Filter op bestemming 50+ datasets Eigendomsdata in één klik Percelen CRM
Geen adressen bij dit perceel
98 m2 - 68 m
Eigenaar opvragen
RSD00-Q-77 (Roosendaal en Nispen)
- Geen postcode aanwezig
wMdjnfTMKjBlx6P9lT1XaM1zWSF4 hUpgrade naar KadastraleKaart Pro
Bekijk op Street View
Download DWG/DXF/Excel
pN4QasOUzPUpgrade naar KadastraleKaart Pro
IvrsPJZD9FmalTV6KDu2Q Upgrade naar KadastraleKaart Pro
3gCowCKI 9G P BFcx5lUpgrade naar KadastraleKaart Pro
j PvaE EUpgrade naar KadastraleKaart Pro
WSZazCr kRvUpgrade naar KadastraleKaart Pro
mywTD4 Rul8JQOMzUpgrade naar KadastraleKaart Pro
W6Z93zV CzCZJUpgrade naar KadastraleKaart Pro
1apoNdhF3Upgrade naar KadastraleKaart Pro
NrR09bnHScOtUpgrade naar KadastraleKaart Pro
HfBy7gDf0bPzCUpgrade naar KadastraleKaart Pro
21/08/2007

Percelen
Gebruik de zoekbalk of klik op een perceel om informatie over het perceel te bekijken.