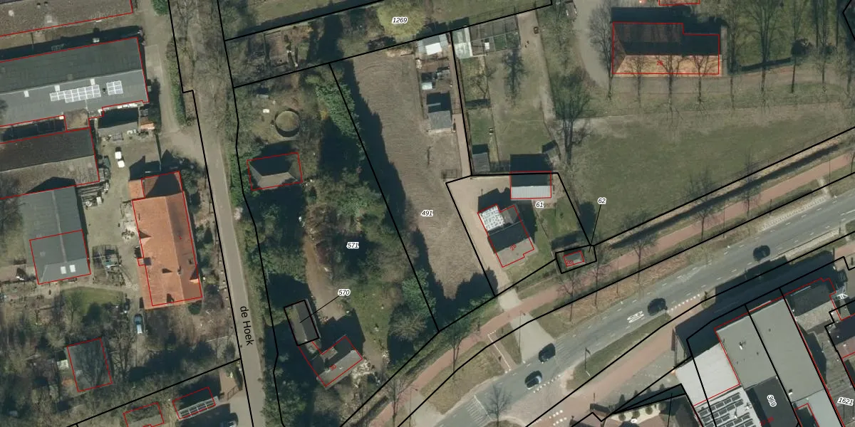
Perceel: RSL00-E-491
KadastraleKaart.com kan meer dan je denktOntdek meer ›
Filter op bestemming 50+ datasets Eigendomsdata in één klik Percelen CRM
Geen adressen bij dit perceel
1.350 m2 - 182 m
Eigenaar opvragen
RSL00-E-491 (Reusel)
- Geen postcode aanwezig
sJglFOqlint1YWNZoAUpgrade naar KadastraleKaart Pro
Bekijk op Street View
Download DWG/DXF/Excel
J W037c Upgrade naar KadastraleKaart Pro
cM48sFEm3fUpgrade naar KadastraleKaart Pro
ekGwQCP Jsfz FcKwgJx1 Upgrade naar KadastraleKaart Pro
z GGuzAKGUpgrade naar KadastraleKaart Pro
HUoRXkUsD Upgrade naar KadastraleKaart Pro
Zs48KK 8veKX G61cFR11zAUpgrade naar KadastraleKaart Pro
QDtRTczKrjxqUpgrade naar KadastraleKaart Pro
byOcv4rACjJjUpgrade naar KadastraleKaart Pro
AVnRQK8 Upgrade naar KadastraleKaart Pro
1b JLjAxLnKQtpUpgrade naar KadastraleKaart Pro
21/06/2005

Percelen
Gebruik de zoekbalk of klik op een perceel om informatie over het perceel te bekijken.