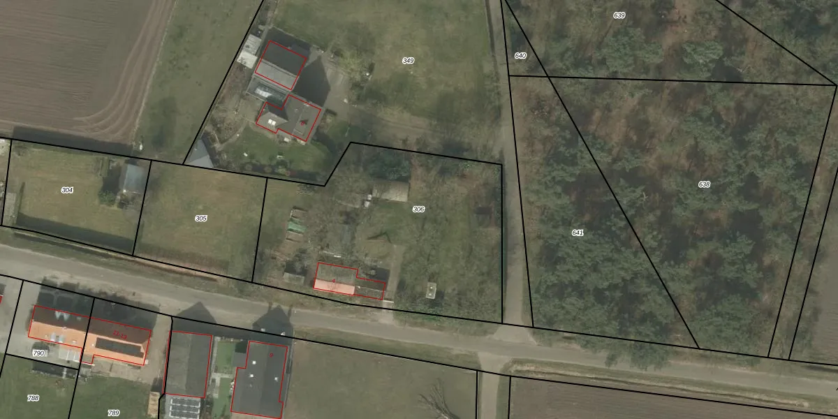
Perceel: RSL00-G-306
KadastraleKaart.com kan meer dan je denktOntdek meer ›
Filter op bestemming 50+ datasets Eigendomsdata in één klik Percelen CRM
1.979 m2 - 186 m
Eigenaar opvragen
RSL00-G-306 (Reusel)
- 5541 NL
ZJ7JP04JTLWQgaPrUpgrade naar KadastraleKaart Pro
Bekijk op Street View
Download DWG/DXF/Excel
qi c 97HTmnaXcUpgrade naar KadastraleKaart Pro
jOlpHTLUP8dSUpgrade naar KadastraleKaart Pro
6KK2LzV6uk1aclluo1c g6AUpgrade naar KadastraleKaart Pro
ox1i8 3BR7AefkJuYG sUpgrade naar KadastraleKaart Pro
zuqJW4fp mUpgrade naar KadastraleKaart Pro
vHRxwGB S5rmTO5XoUpgrade naar KadastraleKaart Pro
trkKO5Ka9dhUpgrade naar KadastraleKaart Pro
D8AYV1Rz kGPKVBw4zUpgrade naar KadastraleKaart Pro
ki2s5XRhEUpgrade naar KadastraleKaart Pro
toH3q83zte 2F kCUpgrade naar KadastraleKaart Pro
15/06/2005

Percelen
Gebruik de zoekbalk of klik op een perceel om informatie over het perceel te bekijken.