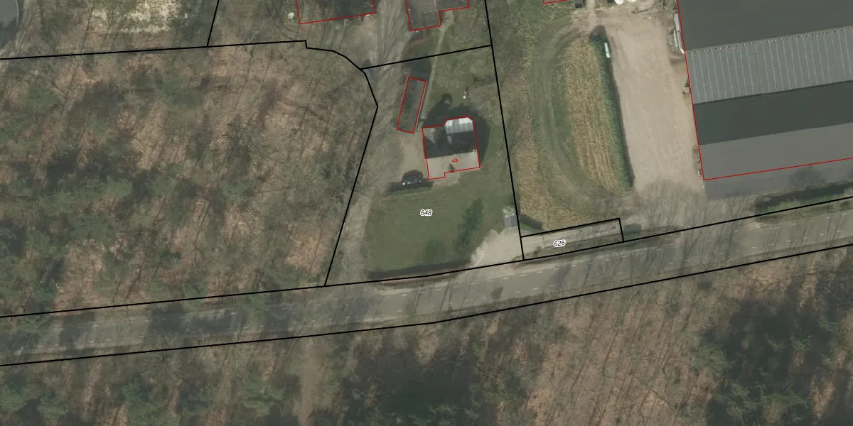
Perceel: RSL00-G-648
KadastraleKaart.com kan meer dan je denktOntdek meer ›
Filter op bestemming 50+ datasets Eigendomsdata in één klik Percelen CRM
1.840 m2 - 183 m
Eigenaar opvragen
RSL00-G-648 (Reusel)
- 5541 NN
anEdaGkT8F6rN0fXZUpgrade naar KadastraleKaart Pro
Verkoopprijs opvragen
Bekijk op Street View
Download DWG/DXF/Excel
GWDR2fj w laEhfGPxij4Upgrade naar KadastraleKaart Pro
sCP4QgJbjzM8t0p IIPtUpgrade naar KadastraleKaart Pro
v8Le7meGpFUpgrade naar KadastraleKaart Pro
NLMVhrKOVSNg2Upgrade naar KadastraleKaart Pro
EIcJTVMSA4FUpgrade naar KadastraleKaart Pro
E NUBWhhKoh7TpS5pS bFUpgrade naar KadastraleKaart Pro
WG 0AywiUDAvoZc5Upgrade naar KadastraleKaart Pro
8PJ4TE kT5sUpgrade naar KadastraleKaart Pro
1e7dzCcNBDZxpHiR NuXw3WUpgrade naar KadastraleKaart Pro
sfPYQ 1 eUpgrade naar KadastraleKaart Pro
06/10/2016

Percelen
Gebruik de zoekbalk of klik op een perceel om informatie over het perceel te bekijken.