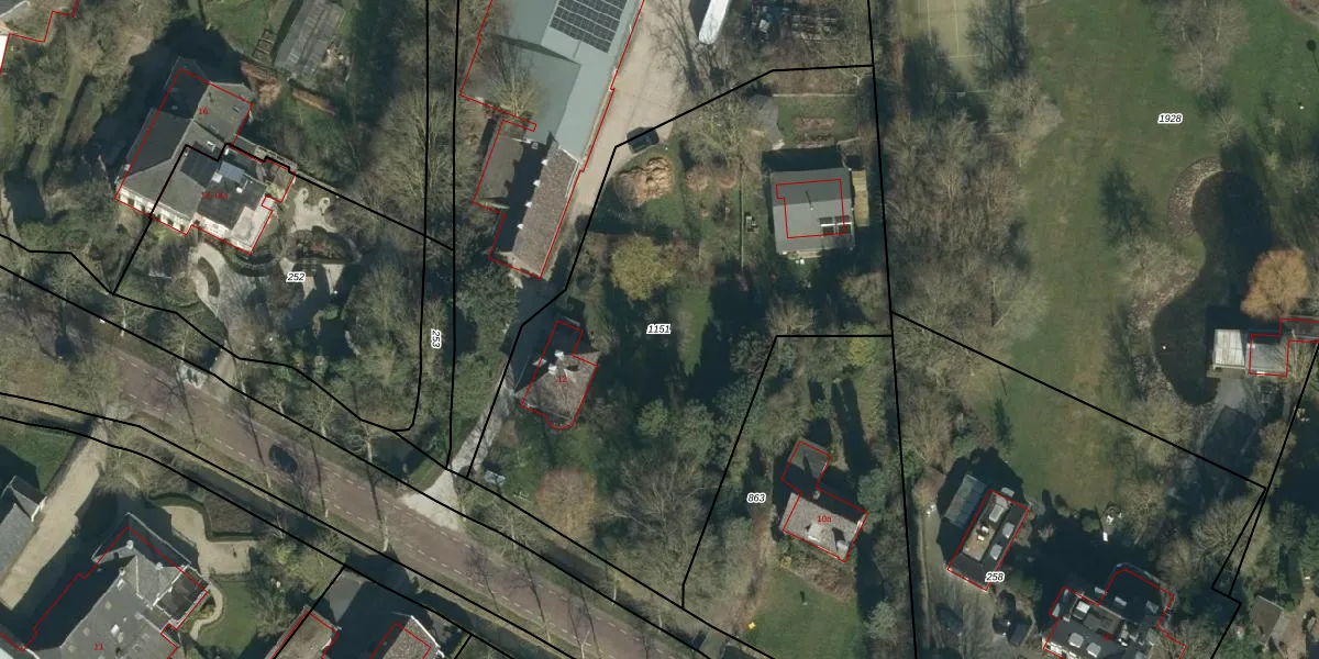
Perceel: RSM00-D-1151
KadastraleKaart.com kan meer dan je denktOntdek meer ›
Filter op bestemming 50+ datasets Eigendomsdata in één klik Percelen CRM
2.905 m2 - 239 m
Eigenaar opvragen
RSM00-D-1151 (Rossum)
- 5328 CR
IuXDr5P THOqX7ZTmpApvleNJ7acUpgrade naar KadastraleKaart Pro
Bekijk op Street View
Download DWG/DXF/Excel
3Ulut0UcBH m45jxXts8QUpgrade naar KadastraleKaart Pro
biClYv1oUpgrade naar KadastraleKaart Pro
2g1fLCmKQUpgrade naar KadastraleKaart Pro
TmFVpgrjEUpgrade naar KadastraleKaart Pro
6WzIDMa Zn0bEvxjgCRCPUpgrade naar KadastraleKaart Pro
zMdNdNb0vUpgrade naar KadastraleKaart Pro
dUN6CWRtMZ2siPQWIy 6ARiUpgrade naar KadastraleKaart Pro
eEg3 w7rMsCEgpD814IUpgrade naar KadastraleKaart Pro
Z1iNBQIrmzDje q Upgrade naar KadastraleKaart Pro
xdbmex7hlFUyS 8VM19GcUpgrade naar KadastraleKaart Pro
15/07/2010

Percelen
Gebruik de zoekbalk of klik op een perceel om informatie over het perceel te bekijken.