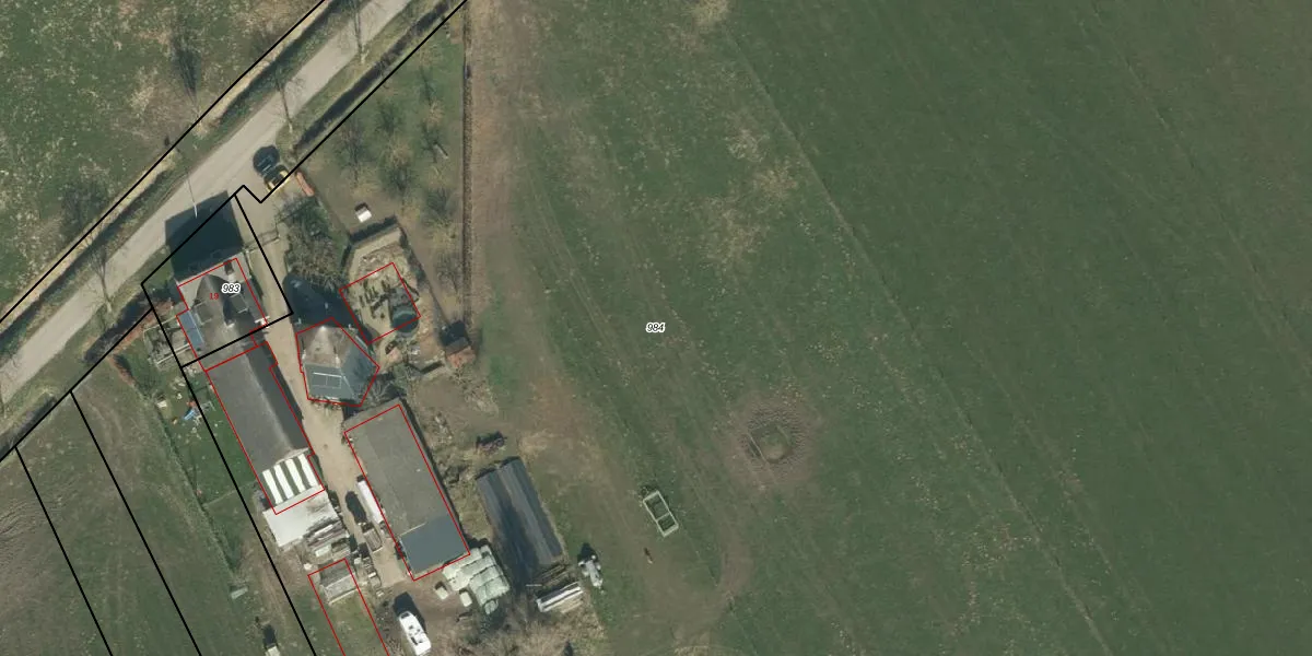
Perceel: RSM00-E-984
KadastraleKaart.com kan meer dan je denktOntdek meer ›
Filter op bestemming 50+ datasets Eigendomsdata in één klik Percelen CRM
53.920 m2 - 963 m
Eigenaar opvragen
RSM00-E-984 (Rossum)
- 5328 JC
UbFycSZGroJa7vnfrPXBg1KTuv4XUpgrade naar KadastraleKaart Pro
Bekijk op Street View
Download DWG/DXF/Excel
JGmZ6E0kDm0qUpgrade naar KadastraleKaart Pro
R999CBuJ46cN8uoC q Upgrade naar KadastraleKaart Pro
4kmRz6Ozme6 qqFp3IF9Upgrade naar KadastraleKaart Pro
Mf E PFAiVRu Upgrade naar KadastraleKaart Pro
z2pe3 VISznQfn6hUpgrade naar KadastraleKaart Pro
VhAC tMxhqezUpgrade naar KadastraleKaart Pro
t0tyosUfIEqof3LCM6Upgrade naar KadastraleKaart Pro
BNHMXMIMyV49hNExxoPhUpgrade naar KadastraleKaart Pro
3BeKLeaDtHS Upgrade naar KadastraleKaart Pro
6XuRAtaIUpgrade naar KadastraleKaart Pro
30/03/2015

Percelen
Gebruik de zoekbalk of klik op een perceel om informatie over het perceel te bekijken.