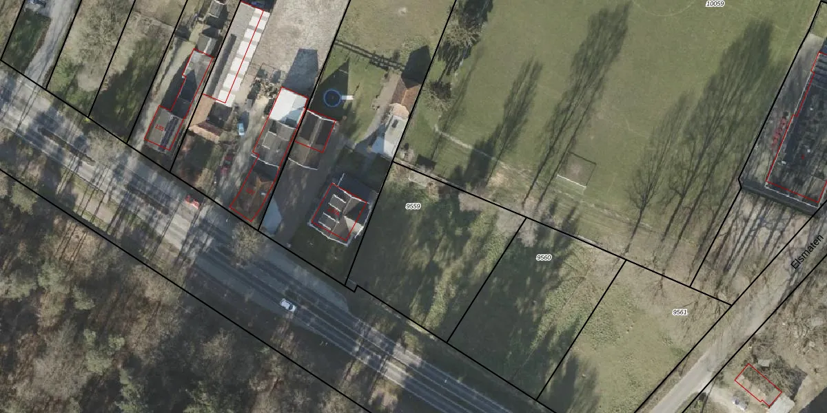
Perceel: RSN01-B-9559
Geen adressen bij dit perceel
1.060 m2 - 134 m
Eigenaar opvragen
RSN01-B-9559 (Rijssen)
- Geen postcode aanwezig
wqbvBQSR6w6UNXgBm dE3Upgrade naar KadastraleKaart Pro
Bekijk op Street View
Download DWG/DXF/Excel
H8T9oQ3NNUpgrade naar KadastraleKaart Pro
687r DhpOvxXA8syh0eUpgrade naar KadastraleKaart Pro
Su XixV0oJUpgrade naar KadastraleKaart Pro
p6PKvOUj7YUUpgrade naar KadastraleKaart Pro
GPGCJxUX9iZmUpgrade naar KadastraleKaart Pro
PR1rO ajXGQ7 SQKL78 eUpgrade naar KadastraleKaart Pro
bNya1xvInq1VzUpgrade naar KadastraleKaart Pro
0dJMlpbVQhY8Upgrade naar KadastraleKaart Pro
j95ioYK 4rp6HbStWEUpgrade naar KadastraleKaart Pro
qYrr3EMcMRJLOyoptVFTdUpgrade naar KadastraleKaart Pro
21/11/2005

Percelen
Gebruik de zoekbalk of klik op een perceel om informatie over het perceel te bekijken.