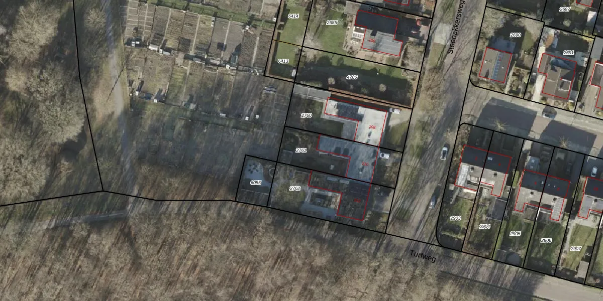
Perceel: RSN01-H-2761
489 m2 - 105 m
Eigenaar opvragen
RSN01-H-2761 (Rijssen)
- 7462 DT
Oh M4x17gMdFmb rQ5P7kUpgrade naar KadastraleKaart Pro
Bekijk op Street View
Download DWG/DXF/Excel
1rplKrSPXoLOz P2JBOY7Upgrade naar KadastraleKaart Pro
xPBItfZuBaUpgrade naar KadastraleKaart Pro
dlZLhbpJfh RMH EW dSyqWUpgrade naar KadastraleKaart Pro
JLrFD8ywHUpgrade naar KadastraleKaart Pro
B5dRxhQ UBUpgrade naar KadastraleKaart Pro
5M UB suMPPsAUpgrade naar KadastraleKaart Pro
q6Q rHbCUpgrade naar KadastraleKaart Pro
rGIK7PC 7gZdWDSUpgrade naar KadastraleKaart Pro
vIOSHUJu6iUY0Upgrade naar KadastraleKaart Pro
9 HZ0ix0IdpeuQJgmUpgrade naar KadastraleKaart Pro
28/12/2007

Percelen
Gebruik de zoekbalk of klik op een perceel om informatie over het perceel te bekijken.