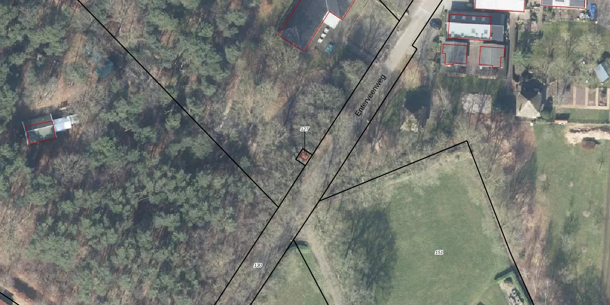
Perceel: RSN01-I-127
20 m2 - 16 m
Eigenaar opvragen
RSN01-I-127 (Rijssen)
- 7461 PB
KDz12VHWHn11L8Bu SSJgbu 3su3Upgrade naar KadastraleKaart Pro
Bekijk op Street View
Download DWG/DXF/Excel
FvtxnT8I8Upgrade naar KadastraleKaart Pro
a6 PpkWvFzbAJH FUEo6Upgrade naar KadastraleKaart Pro
VXYR96IUsms1Y79IM2RUpgrade naar KadastraleKaart Pro
nmnSCzJSdSUpgrade naar KadastraleKaart Pro
0a8bNU3T Aalkmd2oOUpgrade naar KadastraleKaart Pro
uzqhLe4mr Z7aRP3t8ra Upgrade naar KadastraleKaart Pro
RDRYqI Uw0qrsWBUpgrade naar KadastraleKaart Pro
d TOHnBpjWyOcAkmW5Nz1BnUpgrade naar KadastraleKaart Pro
fBLN ALckwM7 vq0cH5Upgrade naar KadastraleKaart Pro
mlncXqULAHH31Kmmr6VhSFUpgrade naar KadastraleKaart Pro
07/08/2003

Percelen
Gebruik de zoekbalk of klik op een perceel om informatie over het perceel te bekijken.