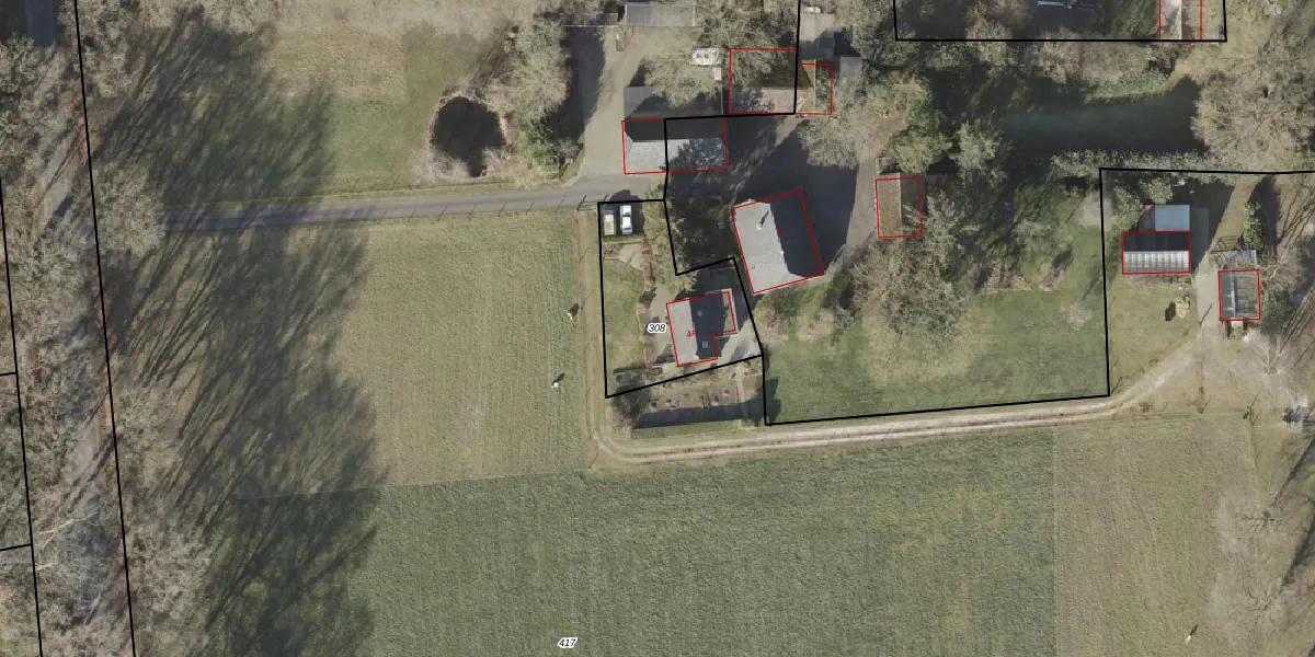
Perceel: RSN01-L-308
485 m2 - 100 m
Eigenaar opvragen
RSN01-L-308 (Rijssen)
- 7462 PT
KWHBvC KMB FU JhVtq4 Upgrade naar KadastraleKaart Pro
Bekijk op Street View
Download DWG/DXF/Excel
x5L E6WD9lA HTidK07 sUpgrade naar KadastraleKaart Pro
U8wSVURaUpgrade naar KadastraleKaart Pro
FH395QPCRHihKSnpUpgrade naar KadastraleKaart Pro
SNoJv0WU0TTnUpgrade naar KadastraleKaart Pro
vGm6o8uQKxdd5W0zoUpgrade naar KadastraleKaart Pro
4ktihB8QVXyVc CehLrscUpgrade naar KadastraleKaart Pro
LmVKj3yWHRi sKUpgrade naar KadastraleKaart Pro
XG3f2wvBCY Cx Gd3fYBZUpgrade naar KadastraleKaart Pro
1 PhBxQ3 6Q Upgrade naar KadastraleKaart Pro
oA33Je8A9Cafj8r9cd0EUpgrade naar KadastraleKaart Pro
29/03/2013

Percelen
Gebruik de zoekbalk of klik op een perceel om informatie over het perceel te bekijken.