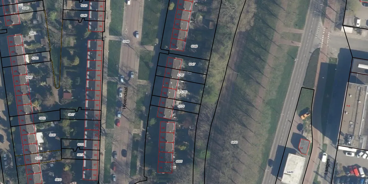
Perceel: RTD05-V-5786
KadastraleKaart.com kan meer dan je denktOntdek meer ›
Filter op bestemming 50+ datasets Eigendomsdata in één klik Percelen CRM
294 m2 - 76 m
Eigenaar opvragen
RTD05-V-5786 (Rotterdam)
- 3075 ZH
btRg SlmpG7wwH5S4WUpgrade naar KadastraleKaart Pro
Bekijk op Street View
Download DWG/DXF/Excel
O cl7hCkQQFtYunhaajqV4Upgrade naar KadastraleKaart Pro
KCF3yDdzUUpgrade naar KadastraleKaart Pro
xReHWUH9A t69q6uUpgrade naar KadastraleKaart Pro
owQ bjAqUpgrade naar KadastraleKaart Pro
ZQ0mQ2xKTT7aOQ Upgrade naar KadastraleKaart Pro
VmMQbQpvuUpgrade naar KadastraleKaart Pro
aiqJ2FQ4VKhb3o tvPQfoUpgrade naar KadastraleKaart Pro
PiZzmgb9Upgrade naar KadastraleKaart Pro
sPlkoOQMNxvurX8i06 SdUpgrade naar KadastraleKaart Pro
oR 1 RczY64XS gvuy1Upgrade naar KadastraleKaart Pro
05/04/2022

Percelen
Gebruik de zoekbalk of klik op een perceel om informatie over het perceel te bekijken.