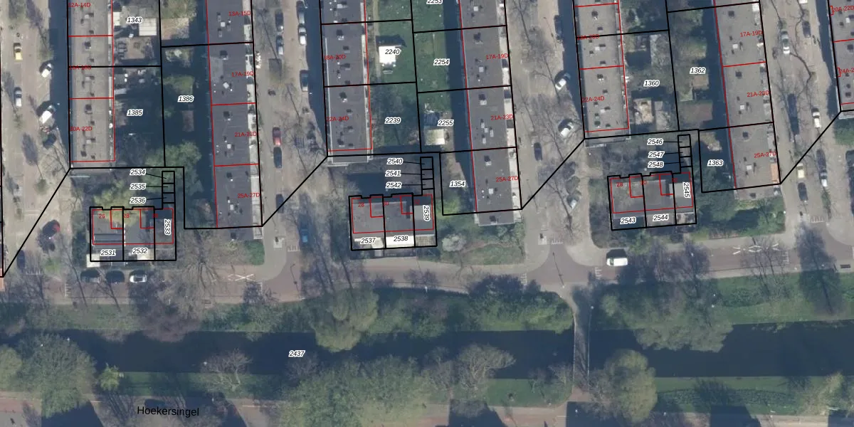
Perceel: RTD10-AA-2539
KadastraleKaart.com kan meer dan je denktOntdek meer ›
Filter op bestemming 50+ datasets Eigendomsdata in één klik Percelen CRM
64 m2 - 38 m
Eigenaar opvragen
RTD10-AA-2539 (Rotterdam)
- 3028 VM
RhnFPHsmzUaDmEYcA7oUpgrade naar KadastraleKaart Pro
Bekijk op Street View
Download DWG/DXF/Excel
Gu5UnskFk8Upgrade naar KadastraleKaart Pro
lt0Vm8muUpgrade naar KadastraleKaart Pro
y nJWiDtrAjG4cm6Z hUpgrade naar KadastraleKaart Pro
6987Ql 4CyMGCJ4iUpgrade naar KadastraleKaart Pro
FTJpW 5uZqeUpgrade naar KadastraleKaart Pro
dpcFX2bfM5K w2reJUpgrade naar KadastraleKaart Pro
Q gDz 4symzj1DrqAF0tIUpgrade naar KadastraleKaart Pro
1lfuZjeB0xwyFE46Upgrade naar KadastraleKaart Pro
b2jun6 dJ8tKMOgJAM0IUpgrade naar KadastraleKaart Pro
Cbgd WKu 9KwWVX7 n2yUpgrade naar KadastraleKaart Pro
27/01/2003

Percelen
Gebruik de zoekbalk of klik op een perceel om informatie over het perceel te bekijken.