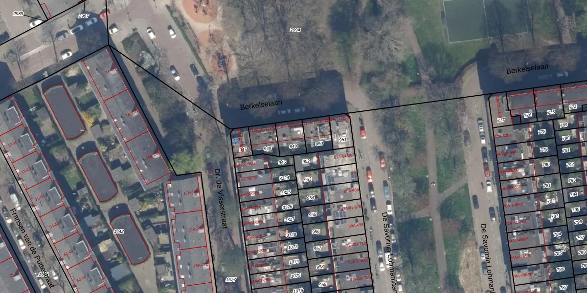
Perceel: RTD10-AB-949
KadastraleKaart.com kan meer dan je denktOntdek meer ›
Filter op bestemming 50+ datasets Eigendomsdata in één klik Percelen CRM
109 m2 - 42 m
Eigenaar opvragen
RTD10-AB-949 (Rotterdam)
- 3038 NA
mOc9OVlK c 5tNtwvSS76vqUbdWpEUpgrade naar KadastraleKaart Pro
Verkoopprijs opvragen
Bekijk op Street View
Download DWG/DXF/Excel
wHvPdjlLTFlMUpgrade naar KadastraleKaart Pro
vYVt7IQhkyB FO B3TBteUpgrade naar KadastraleKaart Pro
QcZvSYw4gW IzFPs4D 0 HUpgrade naar KadastraleKaart Pro
d3sX pP164LKjh8D2pS8xOUpgrade naar KadastraleKaart Pro
74 4g 6irUpgrade naar KadastraleKaart Pro
vVp3hXe 8IEYM vZDmYwUpgrade naar KadastraleKaart Pro
xzixTYA7N UwYa5Jq9Upgrade naar KadastraleKaart Pro
jD2SJjTqTjod zUpgrade naar KadastraleKaart Pro
niwNxDlB N8Sa7xGpUpgrade naar KadastraleKaart Pro
QiWC6 GQj2bGImF8Xa78VdUpgrade naar KadastraleKaart Pro
21/11/2002

Percelen
Gebruik de zoekbalk of klik op een perceel om informatie over het perceel te bekijken.