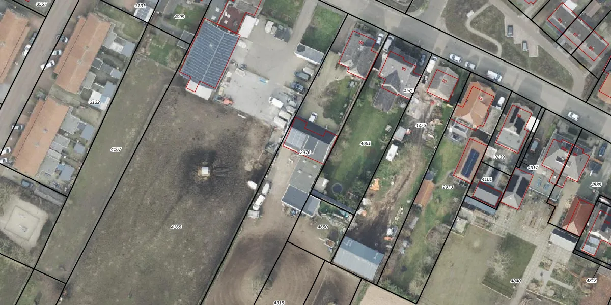
Perceel: RTE00-E-2976
KadastraleKaart.com kan meer dan je denktOntdek meer ›
Filter op bestemming 50+ datasets Eigendomsdata in één klik Percelen CRM
1.800 m2 - 264 m
Eigenaar opvragen
RTE00-E-2976 (Raalte)
- 8102 GN
BrncJ Y mZFYOySwhwAdUpgrade naar KadastraleKaart Pro
Bekijk op Street View
Download DWG/DXF/Excel
aX2Ya EuhjrjUpgrade naar KadastraleKaart Pro
UczOCXkReUpgrade naar KadastraleKaart Pro
Q3LFaecIexRtFUpgrade naar KadastraleKaart Pro
WU9ltFhp096CXMUpgrade naar KadastraleKaart Pro
XVm3W8 LwCUpgrade naar KadastraleKaart Pro
ZnnBctzh0SUpgrade naar KadastraleKaart Pro
I Bqab L6b vY bO41Upgrade naar KadastraleKaart Pro
dsSSv1MuwYmaLOMHUpgrade naar KadastraleKaart Pro
zDyzRPK rN1Z12yQj ExVUpgrade naar KadastraleKaart Pro
hua Lhvcb 5Upgrade naar KadastraleKaart Pro
03/07/2018

Percelen
Gebruik de zoekbalk of klik op een perceel om informatie over het perceel te bekijken.