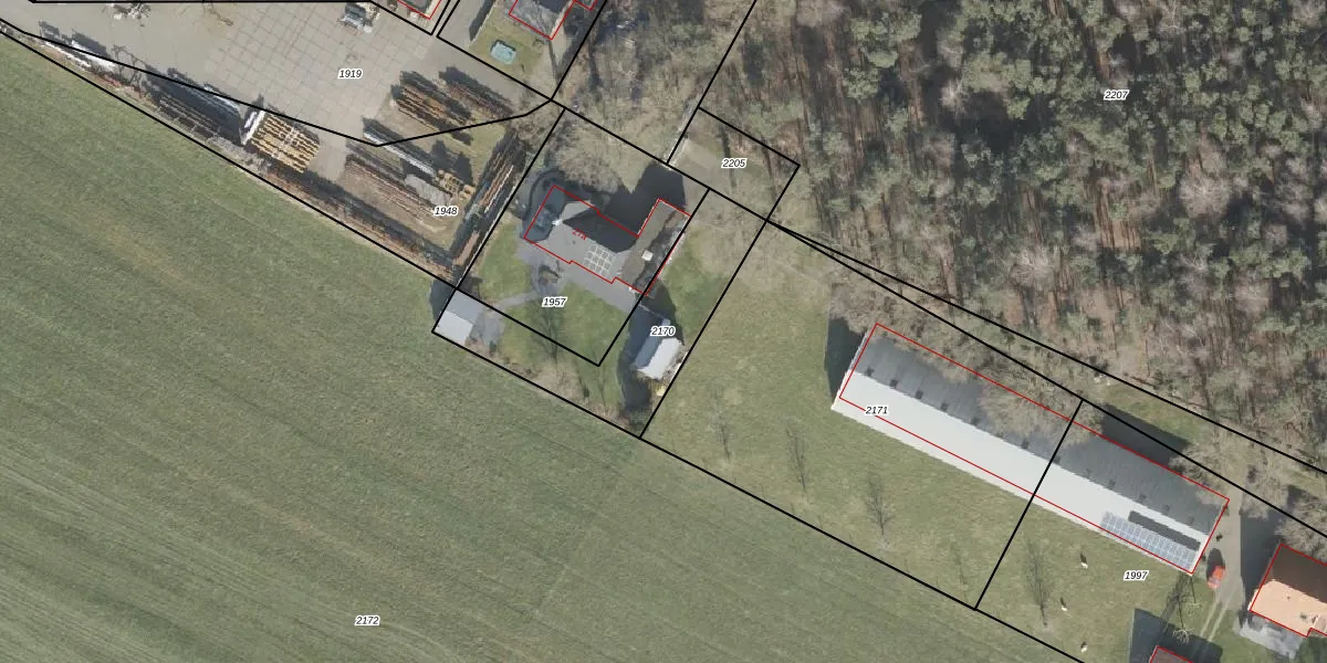
Perceel: RTE00-K-2170
KadastraleKaart.com kan meer dan je denktOntdek meer ›
Filter op bestemming 50+ datasets Eigendomsdata in één klik Percelen CRM
Geen adressen bij dit perceel
536 m2 - 147 m
Eigenaar opvragen
RTE00-K-2170 (Raalte)
- Geen postcode aanwezig
UWTOitLnVEFAyVokgm JBUpgrade naar KadastraleKaart Pro
Bekijk op Street View
Download DWG/DXF/Excel
swsljny7ovW2wxWay Upgrade naar KadastraleKaart Pro
1 fKhigS SP2Upgrade naar KadastraleKaart Pro
e0h7BaIHCUpgrade naar KadastraleKaart Pro
PtYsXe70m2QuAUpgrade naar KadastraleKaart Pro
g 1co0VkLfrDca1YjQUpgrade naar KadastraleKaart Pro
830ky Orh 8 9FDiUpgrade naar KadastraleKaart Pro
AnJD I5pB3zm7gnnyOOUpgrade naar KadastraleKaart Pro
i XjGJaUNdp1fzcftdYfHzWUpgrade naar KadastraleKaart Pro
tVCva vSdr8mUNUpgrade naar KadastraleKaart Pro
M ibL8QsAGLGFY9Upgrade naar KadastraleKaart Pro
16/09/2011

Percelen
Gebruik de zoekbalk of klik op een perceel om informatie over het perceel te bekijken.