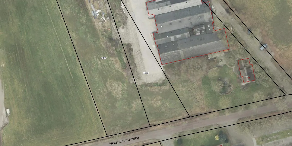
Perceel: RTE00-P-1362
KadastraleKaart.com kan meer dan je denktOntdek meer ›
Filter op bestemming 50+ datasets Eigendomsdata in één klik Percelen CRM
Geen adressen bij dit perceel
1.845 m2 - 298 m
Eigenaar opvragen
RTE00-P-1362 (Raalte)
- Geen postcode aanwezig
5 YKihMBtIfeInZn uX 3peJYKkJUpgrade naar KadastraleKaart Pro
Bekijk op Street View
Download DWG/DXF/Excel
62t9zQsGmjdO86Gz KUpgrade naar KadastraleKaart Pro
ewAIRCcMUpgrade naar KadastraleKaart Pro
p0nF dUspHnTD2d4l8VBA Upgrade naar KadastraleKaart Pro
5Zgaq66FVkEYfcZgcbQbxUpgrade naar KadastraleKaart Pro
XqA r6sr9 nJrC l 6qDmQUpgrade naar KadastraleKaart Pro
w htcI Hhh3ze s6fyUpgrade naar KadastraleKaart Pro
yaZ26RSRs oiOc oYGyC6 OUpgrade naar KadastraleKaart Pro
Qnkarh1aJmkUpgrade naar KadastraleKaart Pro
CfWNpbgqVS5R7onUpgrade naar KadastraleKaart Pro
WzxT71kY jlUpgrade naar KadastraleKaart Pro
29/03/2007

Percelen
Gebruik de zoekbalk of klik op een perceel om informatie over het perceel te bekijken.