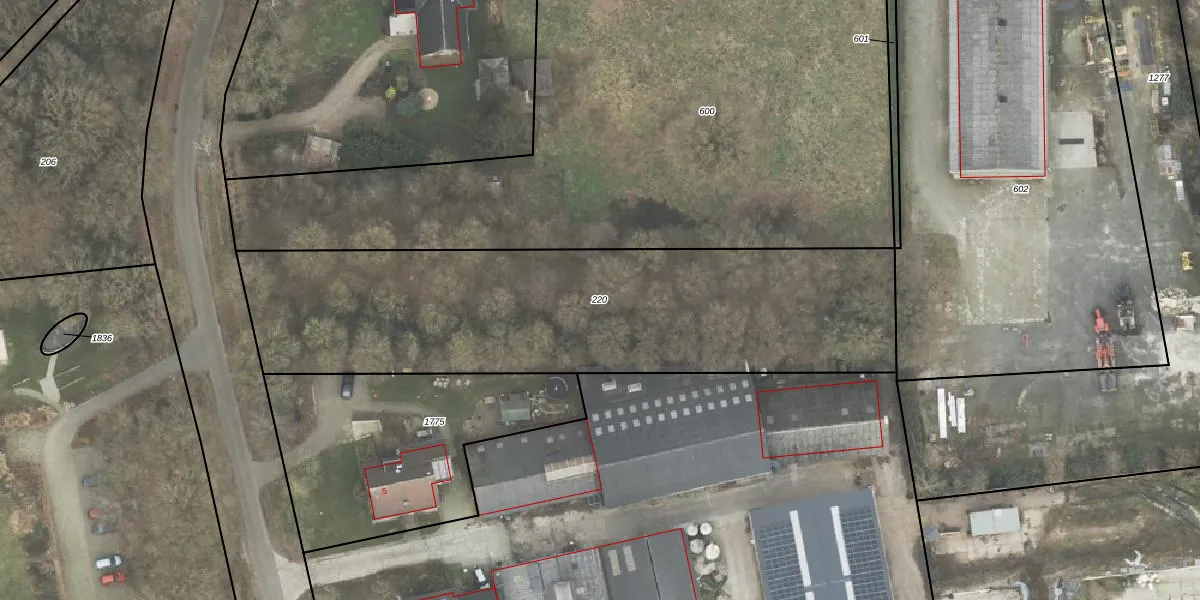
Perceel: RTE00-R-220
KadastraleKaart.com kan meer dan je denktOntdek meer ›
Filter op bestemming 50+ datasets Eigendomsdata in één klik Percelen CRM
Geen adressen bij dit perceel
2.180 m2 - 257 m
Eigenaar opvragen
RTE00-R-220 (Raalte)
- Geen postcode aanwezig
Yp3R0FbQR0Y4f iThUpgrade naar KadastraleKaart Pro
Bekijk op Street View
Download DWG/DXF/Excel
3oJ1 v K jBNd7tg7G 1Upgrade naar KadastraleKaart Pro
Tm601VGcUk8Upgrade naar KadastraleKaart Pro
m5WBF03bAUpgrade naar KadastraleKaart Pro
pJ7uIeAJOjatKY t a7Pv IUpgrade naar KadastraleKaart Pro
AzSdbduMvZTbrq MWuzUpgrade naar KadastraleKaart Pro
H3pLK5HtUpgrade naar KadastraleKaart Pro
kjDjoJO2m5h4FeR Upgrade naar KadastraleKaart Pro
EZk7hHL7sPNrIC7DLd1 jXPUpgrade naar KadastraleKaart Pro
TWZMMND ZdvUpgrade naar KadastraleKaart Pro
U1k8RWWQg8bdUpgrade naar KadastraleKaart Pro
17/03/2022

Percelen
Gebruik de zoekbalk of klik op een perceel om informatie over het perceel te bekijken.