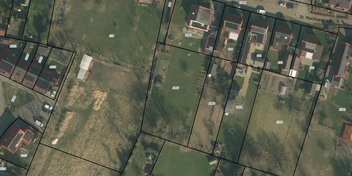
Perceel: RVS00-D-1493
KadastraleKaart.com kan meer dan je denktOntdek meer ›
Filter op bestemming 50+ datasets Eigendomsdata in één klik Percelen CRM
Geen adressen bij dit perceel
1.590 m2 - 165 m
Eigenaar opvragen
RVS00-D-1493 (Ravenstein)
- Geen postcode aanwezig
2BoZ2xp ioOY0iVQ68OO4gUpgrade naar KadastraleKaart Pro
Bekijk op Street View
Download DWG/DXF/Excel
8A0eb4HjpXfUpgrade naar KadastraleKaart Pro
HkK4cGjfnH1uHI4jUpgrade naar KadastraleKaart Pro
NN1WSK942XTh SlaG1 1Y3Upgrade naar KadastraleKaart Pro
WuZAfHReeEQtM0UOUpgrade naar KadastraleKaart Pro
ezZ0P5ZCdn a WQUXUpgrade naar KadastraleKaart Pro
V4BYNBTMr gz5B02bBqUpgrade naar KadastraleKaart Pro
yMjD JMP2b PnUdBIp ScsdUpgrade naar KadastraleKaart Pro
z2aiVgn0QD68BX7YHsiUpgrade naar KadastraleKaart Pro
y EjV OAvBINZ8wKJUpgrade naar KadastraleKaart Pro
sFEEBg2WfARUpgrade naar KadastraleKaart Pro
09/09/2009

Percelen
Gebruik de zoekbalk of klik op een perceel om informatie over het perceel te bekijken.