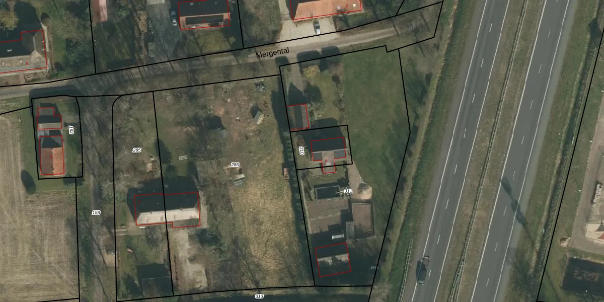
Perceel: RVS00-H-210
KadastraleKaart.com kan meer dan je denktOntdek meer ›
Filter op bestemming 50+ datasets Eigendomsdata in één klik Percelen CRM
250 m2 - 63 m
Eigenaar opvragen
RVS00-H-210 (Ravenstein)
- 5373 LJ
Ib 8 cQFW Rdwi7HJUpgrade naar KadastraleKaart Pro
Bekijk op Street View
Download DWG/DXF/Excel
tqqX8rsuTEsUUpgrade naar KadastraleKaart Pro
89W5 j38gpXT3 5LMKUpgrade naar KadastraleKaart Pro
fishFjYZnQIteu6Upgrade naar KadastraleKaart Pro
bV3W KNmmFsPKU0WxUpgrade naar KadastraleKaart Pro
D 6GLvMKqUpgrade naar KadastraleKaart Pro
YCuZOtOfIAeJ9Upgrade naar KadastraleKaart Pro
8nT4kHdKlKIBM9N7PAK d FUpgrade naar KadastraleKaart Pro
88KFJCT62gtUpgrade naar KadastraleKaart Pro
0Qvx4W7N3FwLv5JO58Upgrade naar KadastraleKaart Pro
O RkUCUklr bUpgrade naar KadastraleKaart Pro
20/08/2009

Percelen
Gebruik de zoekbalk of klik op een perceel om informatie over het perceel te bekijken.