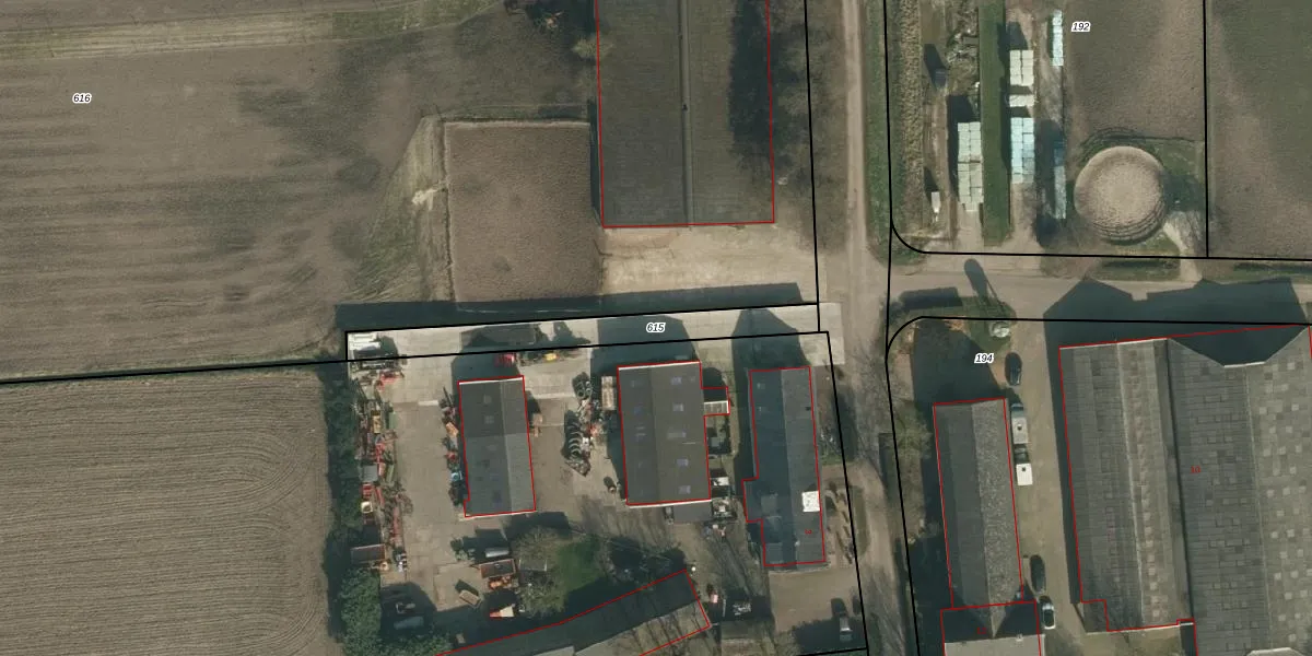
Perceel: RVS00-H-615
KadastraleKaart.com kan meer dan je denktOntdek meer ›
Filter op bestemming 50+ datasets Eigendomsdata in één klik Percelen CRM
Geen adressen bij dit perceel
320 m2 - 153 m
Eigenaar opvragen
RVS00-H-615 (Ravenstein)
- Geen postcode aanwezig
PSqDLHU MmLGE8 207Upgrade naar KadastraleKaart Pro
Bekijk op Street View
Download DWG/DXF/Excel
YnApuazvwNvjUpgrade naar KadastraleKaart Pro
lems6JB2VsUpgrade naar KadastraleKaart Pro
BydPviXI94Upgrade naar KadastraleKaart Pro
mc DlnbCu7hiCUpgrade naar KadastraleKaart Pro
K8ZqVuAJlp44IYUpgrade naar KadastraleKaart Pro
UJ91Wmvo NNDHacUpgrade naar KadastraleKaart Pro
Jr uDb mssriAiqOYdUBMUpgrade naar KadastraleKaart Pro
1HeonYwpxVfw4SevdD4aUpgrade naar KadastraleKaart Pro
agajCoNlIGnWUpgrade naar KadastraleKaart Pro
JLr5PwsrFUpgrade naar KadastraleKaart Pro
07/05/2021

Percelen
Gebruik de zoekbalk of klik op een perceel om informatie over het perceel te bekijken.