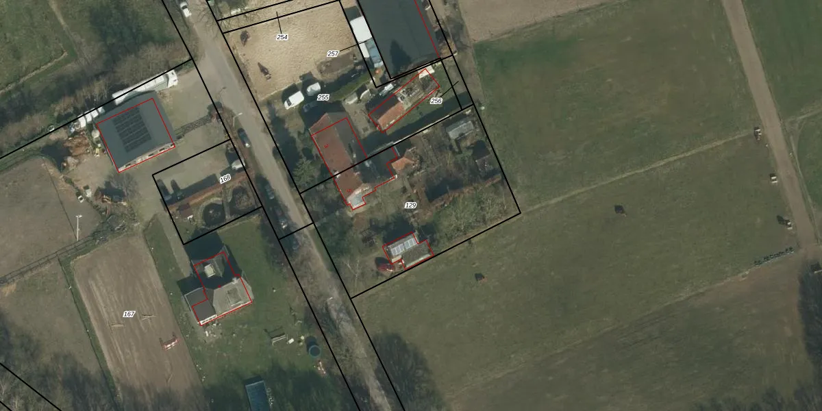
Perceel: RVS00-K-129
KadastraleKaart.com kan meer dan je denktOntdek meer ›
Filter op bestemming 50+ datasets Eigendomsdata in één klik Percelen CRM
1.325 m2 - 151 m
Eigenaar opvragen
RVS00-K-129 (Ravenstein)
- 5373 KK
PknSGxMb6wyBBVQ5 HH oAkrhzodWYOUpgrade naar KadastraleKaart Pro
Bekijk op Street View
Download DWG/DXF/Excel
IIYNa NBuewI6k7VnYY 1Upgrade naar KadastraleKaart Pro
bZ5 8bR6Rwof jUpgrade naar KadastraleKaart Pro
pxb pIvDPjztK3Upgrade naar KadastraleKaart Pro
OIs31hrqswcol4HeUpgrade naar KadastraleKaart Pro
oZ37m2UykoOgaAlCk0tZFlXUpgrade naar KadastraleKaart Pro
IQf7esCPekU6Ub0kFkowxhUpgrade naar KadastraleKaart Pro
MI 1BT2MNmidi V 9mUpgrade naar KadastraleKaart Pro
Dlw3BUfDXkXsBVavJLwfUpgrade naar KadastraleKaart Pro
K9KNYJN5FChwNUpgrade naar KadastraleKaart Pro
bmBnen0sw VQmrSuUpgrade naar KadastraleKaart Pro
13/04/2023

Percelen
Gebruik de zoekbalk of klik op een perceel om informatie over het perceel te bekijken.