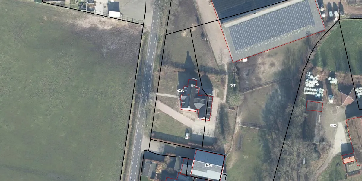
Perceel: RWD01-C-3054
1.580 m2 - 171 m
Eigenaar opvragen
RWD01-C-3054 (Renswoude)
- 3927 CJ
gA2Mmyp4 AF2GzZ7LCyD85ubhQfd FUpgrade naar KadastraleKaart Pro
Bekijk op Street View
Download DWG/DXF/Excel
pAWKUzzLV4p lNJ3gpxzOqUpgrade naar KadastraleKaart Pro
K0bt59iGZNDzFD cZf4Upgrade naar KadastraleKaart Pro
aMDUvtsfnk Upgrade naar KadastraleKaart Pro
tVEVxqIo5IcXlSxo7Upgrade naar KadastraleKaart Pro
gYyikDPsCsZz6JUpgrade naar KadastraleKaart Pro
Xtj0JVAn XQUUpgrade naar KadastraleKaart Pro
wfX2 WMMyUpgrade naar KadastraleKaart Pro
7phJNFNo9g wPZW g rbUpgrade naar KadastraleKaart Pro
P g xXynSpB hXrCIaD4HUpgrade naar KadastraleKaart Pro
glPrN 5KlxdUpgrade naar KadastraleKaart Pro
07/08/2009

Percelen
Gebruik de zoekbalk of klik op een perceel om informatie over het perceel te bekijken.