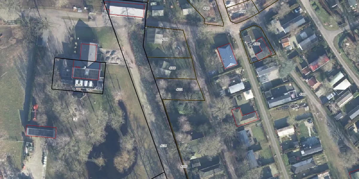
Perceel: RWD01-C-4221
Geen adressen bij dit perceel
283 m2 - 73 m
Eigenaar opvragen
RWD01-C-4221 (Renswoude)
- Geen postcode aanwezig
8TqJMBI AgTnIX1cIFEkUpgrade naar KadastraleKaart Pro
Bekijk op Street View
Download DWG/DXF/Excel
Y3bT2ae kHEGzCUpgrade naar KadastraleKaart Pro
uJK ChHf 47hUpgrade naar KadastraleKaart Pro
wM9o01uhnQQSusdsUpgrade naar KadastraleKaart Pro
2oT33vJPKtopM kUpgrade naar KadastraleKaart Pro
MLr5CHOmu 5h7IUpgrade naar KadastraleKaart Pro
CWx eB XtYzM8EFldFDE nUpgrade naar KadastraleKaart Pro
T RXwkbekpYUpgrade naar KadastraleKaart Pro
rU2 Xf044fkv4 tUpgrade naar KadastraleKaart Pro
XCxyIE w HJa1HZP rkFK0Upgrade naar KadastraleKaart Pro
AqVtrtUIfMQIYjLgc9DUpgrade naar KadastraleKaart Pro
18/02/2026

Percelen
Gebruik de zoekbalk of klik op een perceel om informatie over het perceel te bekijken.