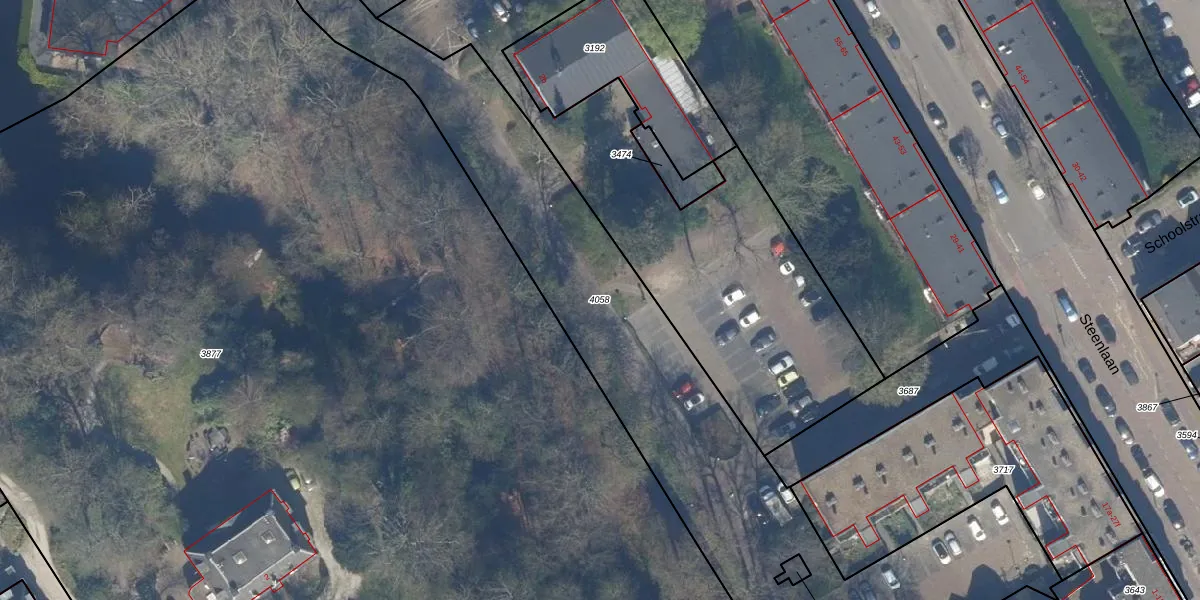
Perceel: RWK01-A-4058
KadastraleKaart.com kan meer dan je denktOntdek meer ›
Filter op bestemming 50+ datasets Eigendomsdata in één klik Percelen CRM
Geen adressen bij dit perceel
3.846 m2 - 677 m
Eigenaar opvragen
RWK01-A-4058 (Rijswijk)
- Geen postcode aanwezig
KR iaCIbcSNRmi cKLiUpgrade naar KadastraleKaart Pro
Bekijk op Street View
Download DWG/DXF/Excel
w4 RRP Sf5Upgrade naar KadastraleKaart Pro
yucZyk xwMKGsE6w yiUpgrade naar KadastraleKaart Pro
qwo1t T9AnbM gBFGMJk8IUpgrade naar KadastraleKaart Pro
z7mDixUase2tq14D0AUpgrade naar KadastraleKaart Pro
URh56YMVwmpWsT6osrELdmUpgrade naar KadastraleKaart Pro
2gYRMZvZZK1VUpgrade naar KadastraleKaart Pro
RliAwA 3vQYex H 2uSUpgrade naar KadastraleKaart Pro
Wv3yk t0IP02EecmQ eHUpgrade naar KadastraleKaart Pro
8HLTlEMGTa c0Upgrade naar KadastraleKaart Pro
5 MoYf q3r Upgrade naar KadastraleKaart Pro
17/01/2024

Percelen
Gebruik de zoekbalk of klik op een perceel om informatie over het perceel te bekijken.