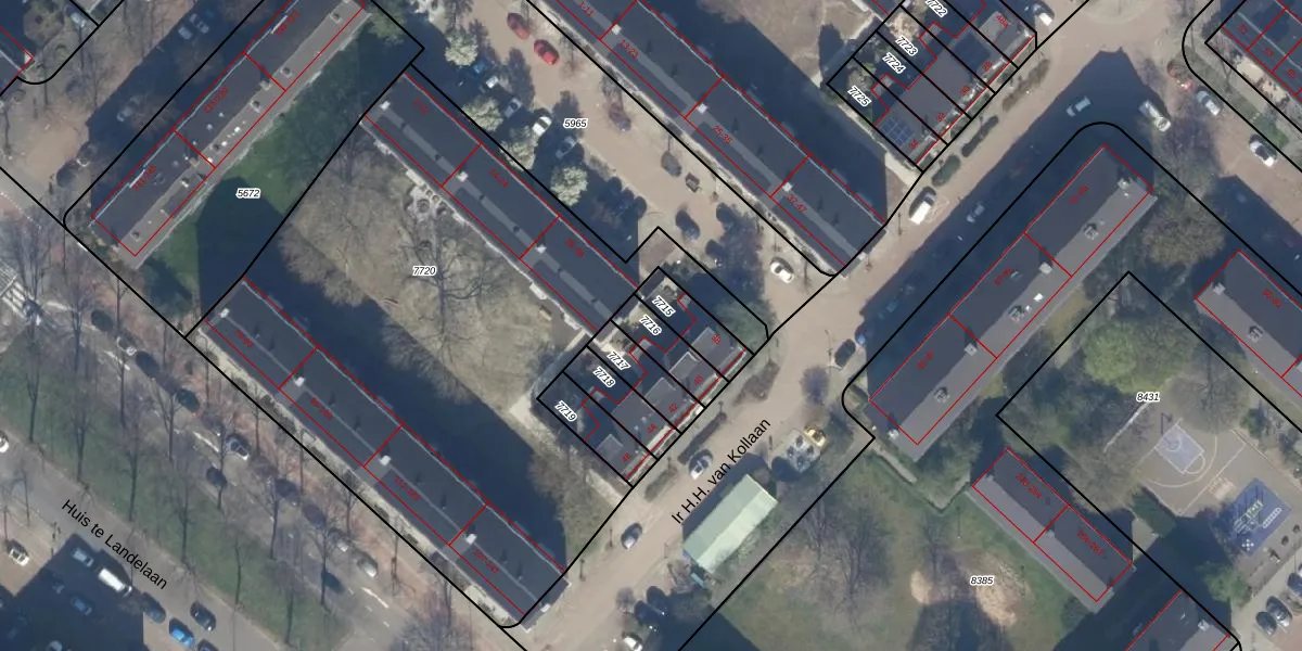
Perceel: RWK01-D-7716
108 m2 - 51 m
Eigenaar opvragen
RWK01-D-7716 (Rijswijk)
- 2283 NE
2 5B WHiKws0t3 mDHbl skUpgrade naar KadastraleKaart Pro
Verkoopprijs opvragen
Bekijk op Street View
Download DWG/DXF/Excel
MNGhLJhp5Y9yAxiksZ VqUpgrade naar KadastraleKaart Pro
GdWHT2yhIUpgrade naar KadastraleKaart Pro
HpLeJJU Upgrade naar KadastraleKaart Pro
Ph q6y U6Gy rfzaOXLUpgrade naar KadastraleKaart Pro
MM5OTOGAC5vA qdRwoT2wqUpgrade naar KadastraleKaart Pro
gHcKvdgVen z6Upgrade naar KadastraleKaart Pro
ZaS8nVFIUpgrade naar KadastraleKaart Pro
sKlBglC BJr92eSE T5DdLdUpgrade naar KadastraleKaart Pro
FfS 9lyrR8OmtUpgrade naar KadastraleKaart Pro
y5nk62pjaWhR40nXOQ6cQLUpgrade naar KadastraleKaart Pro
19/08/2004

Percelen
Gebruik de zoekbalk of klik op een perceel om informatie over het perceel te bekijken.