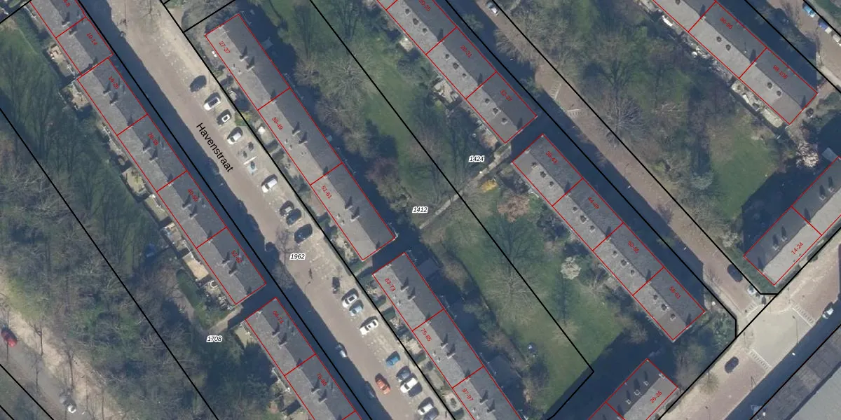
Perceel: RWK01-G-1412
KadastraleKaart.com kan meer dan je denktOntdek meer ›
Filter op bestemming 50+ datasets Eigendomsdata in één klik Percelen CRM
3.865 m2 - 320 m
Eigenaar opvragen
RWK01-G-1412 (Rijswijk)
- 2282 KG -2282 KH
X8ApAvDGZon7xCk67BOxabSj4 UuPUpgrade naar KadastraleKaart Pro
Bekijk op Street View
Download DWG/DXF/Excel
JAkNlsDlWBTj o1xnx1Upgrade naar KadastraleKaart Pro
PYjV16wsMorJUpgrade naar KadastraleKaart Pro
M CHrMEEUpgrade naar KadastraleKaart Pro
eMK A6VTXWo QGESM ITUpgrade naar KadastraleKaart Pro
rI ecanTvdOc ZNUpgrade naar KadastraleKaart Pro
9 64ja8r74nVUJofhUpgrade naar KadastraleKaart Pro
X2t5zy6cUpgrade naar KadastraleKaart Pro
o8drRbc Upgrade naar KadastraleKaart Pro
kLlws42vCPjUpgrade naar KadastraleKaart Pro
BbegrrNnEvviUpgrade naar KadastraleKaart Pro
20/02/2003

Percelen
Gebruik de zoekbalk of klik op een perceel om informatie over het perceel te bekijken.