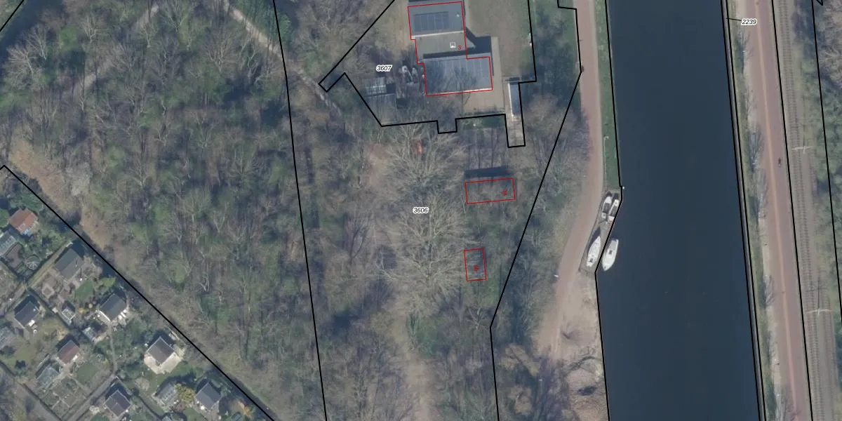
Perceel: RWK01-G-3606
KadastraleKaart.com kan meer dan je denktOntdek meer ›
Filter op bestemming 50+ datasets Eigendomsdata in één klik Percelen CRM
10.550 m2 - 814 m
Eigenaar opvragen
RWK01-G-3606 (Rijswijk)
- 2288 AB
Buo RdGm 30kyrMFTjLIUpOrrsiJwUpgrade naar KadastraleKaart Pro
Bekijk op Street View
Download DWG/DXF/Excel
VMp YNMeShDLSyZfUpgrade naar KadastraleKaart Pro
O5iSzELe8c 5qz8E uUTUpgrade naar KadastraleKaart Pro
72SoceaKZNi2jpAUpgrade naar KadastraleKaart Pro
W6VFaZ9xxa9Y eUpgrade naar KadastraleKaart Pro
O43e8tR4uY8Upgrade naar KadastraleKaart Pro
ZDg9vywFWJ5R6e8eciA hUpgrade naar KadastraleKaart Pro
5Y7XJv0A Upgrade naar KadastraleKaart Pro
9eNKKZlUgbNt0YqX xUpgrade naar KadastraleKaart Pro
5ScxOtXk5kbMgRrBUpgrade naar KadastraleKaart Pro
7T9mVNH pUpgrade naar KadastraleKaart Pro
06/06/2019

Percelen
Gebruik de zoekbalk of klik op een perceel om informatie over het perceel te bekijken.