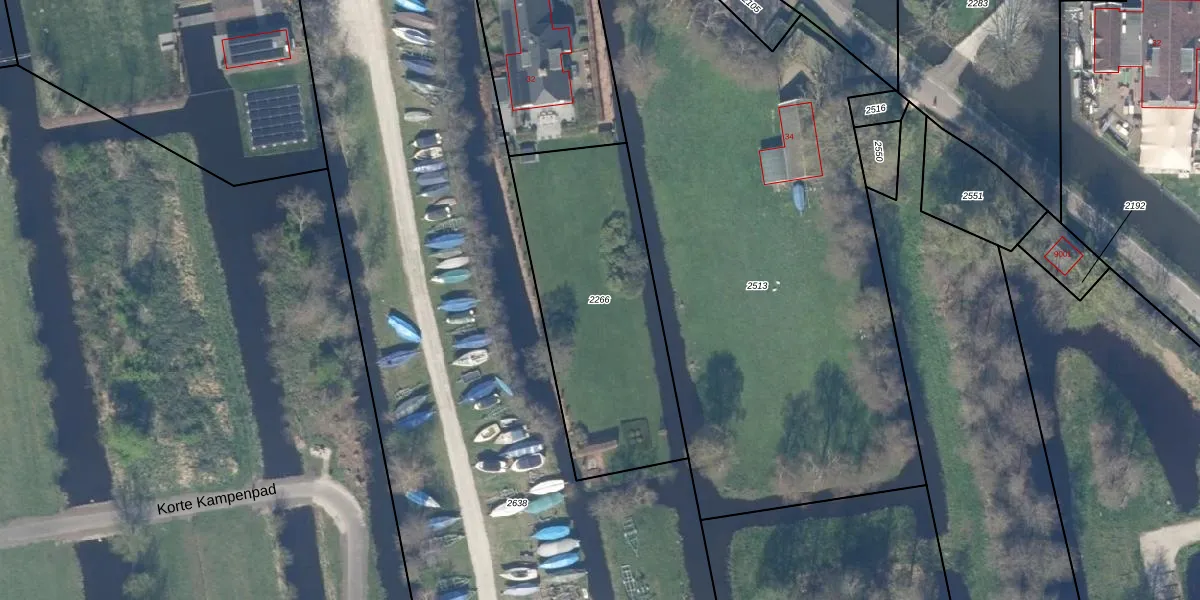
Perceel: RWK02-G-2266
KadastraleKaart.com kan meer dan je denktOntdek meer ›
Filter op bestemming 50+ datasets Eigendomsdata in één klik Percelen CRM
Geen adressen bij dit perceel
1.054 m2 - 148 m
Eigenaar opvragen
RWK02-G-2266 (Reeuwijk)
- Geen postcode aanwezig
XLRjU wD4GV zzmVG Upgrade naar KadastraleKaart Pro
Bekijk op Street View
Download DWG/DXF/Excel
gzOrudqas0c qx9VUpgrade naar KadastraleKaart Pro
LHUifXJu M5NNLUpgrade naar KadastraleKaart Pro
5VkoDnX2bOT fJ9wDfoUpgrade naar KadastraleKaart Pro
ywxbHQNG8Ua0JUpgrade naar KadastraleKaart Pro
AWoH5l5vi0Upgrade naar KadastraleKaart Pro
reF5ixLB9d J5YluPbI7Upgrade naar KadastraleKaart Pro
lZe4JrQF1JHpUpgrade naar KadastraleKaart Pro
ig5EK3MrrrVI3Zs9qaZUpgrade naar KadastraleKaart Pro
kakbGAOmX eJmsUpgrade naar KadastraleKaart Pro
z3f0bsVG RJUpgrade naar KadastraleKaart Pro
05/02/1998

Percelen
Gebruik de zoekbalk of klik op een perceel om informatie over het perceel te bekijken.