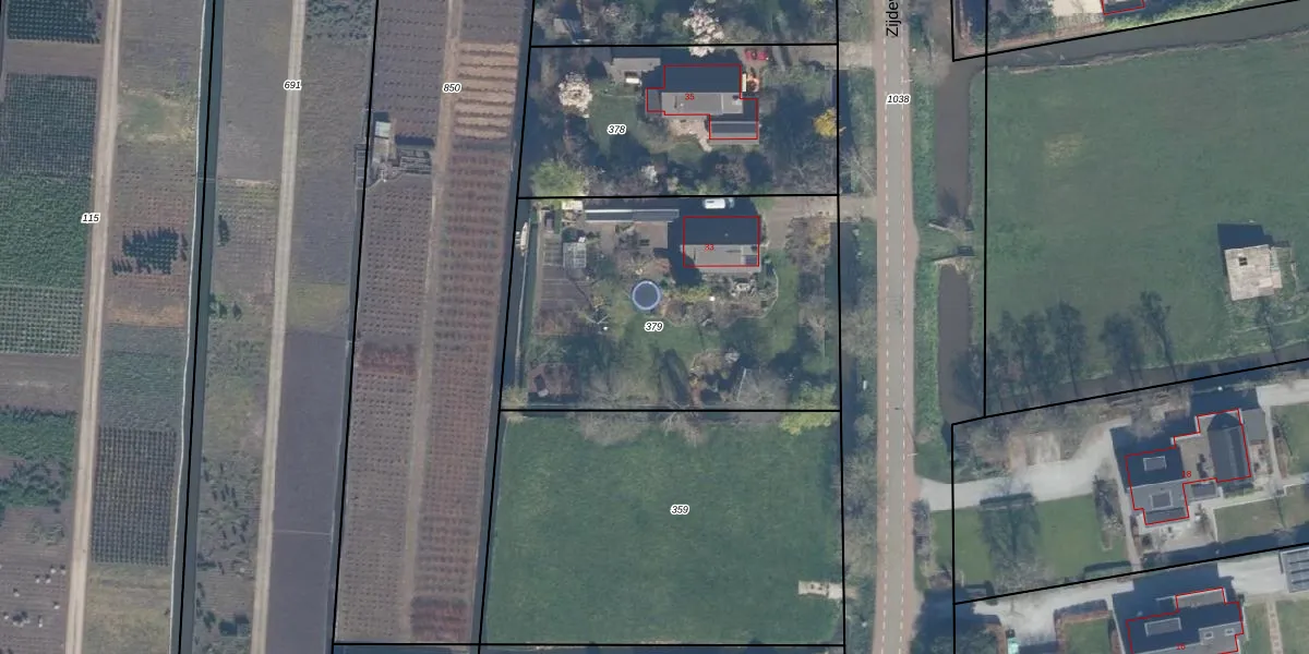
Perceel: RWK02-K-379
KadastraleKaart.com kan meer dan je denktOntdek meer ›
Filter op bestemming 50+ datasets Eigendomsdata in één klik Percelen CRM
1.620 m2 - 167 m
Eigenaar opvragen
RWK02-K-379 (Reeuwijk)
- 2811 PD
zzi XU5E3m Z lt q TPC3efUpgrade naar KadastraleKaart Pro
Verkoopprijs opvragen
Bekijk op Street View
Download DWG/DXF/Excel
twToi ZAKWbLUpgrade naar KadastraleKaart Pro
HwN9C 4N2KFCcvFUpgrade naar KadastraleKaart Pro
SnC8dR2R7WUpgrade naar KadastraleKaart Pro
LB59ildbUpgrade naar KadastraleKaart Pro
VcAKwXgBxaAKWUpgrade naar KadastraleKaart Pro
TnVe5d7DUpgrade naar KadastraleKaart Pro
PisJgTTTp6 RfLUpgrade naar KadastraleKaart Pro
CzQ1MH5 wUpgrade naar KadastraleKaart Pro
j0LPqolIzMQW1wpi kRi Upgrade naar KadastraleKaart Pro
wh1aNWR2 q0FD890Upgrade naar KadastraleKaart Pro
22/02/2005

Percelen
Gebruik de zoekbalk of klik op een perceel om informatie over het perceel te bekijken.