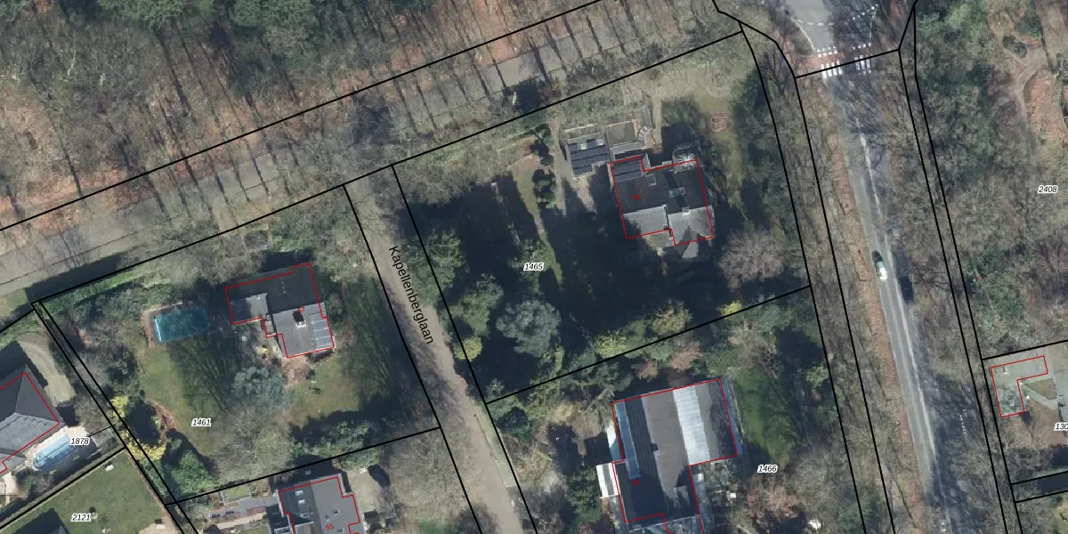
Perceel: RZD00-C-1465
KadastraleKaart.com kan meer dan je denktOntdek meer ›
Filter op bestemming 50+ datasets Eigendomsdata in één klik Percelen CRM
3.330 m2 - 233 m
Eigenaar opvragen
RZD00-C-1465 (Rozendaal)
- 6891 AG
3I zJ3rWAJOOawBgpE83Fowapez8RyUpgrade naar KadastraleKaart Pro
Bekijk op Street View
Download DWG/DXF/Excel
jktnBNfxQcpUpgrade naar KadastraleKaart Pro
k6Z NIea1CIYUpgrade naar KadastraleKaart Pro
lLFvMVL 0GP1G0ZJdIEyaUpgrade naar KadastraleKaart Pro
8IKNw xFRUpgrade naar KadastraleKaart Pro
6LbiC4BpnJUpgrade naar KadastraleKaart Pro
QUYSJ0 8odEUTLeUpgrade naar KadastraleKaart Pro
7gPkfM 4Upgrade naar KadastraleKaart Pro
xp4TGX 9hUpgrade naar KadastraleKaart Pro
7rl9f 82KYvfavoR0 Upgrade naar KadastraleKaart Pro
wuGBTXEW25PIaWkXGWZUpgrade naar KadastraleKaart Pro
07/11/2006

Percelen
Gebruik de zoekbalk of klik op een perceel om informatie over het perceel te bekijken.