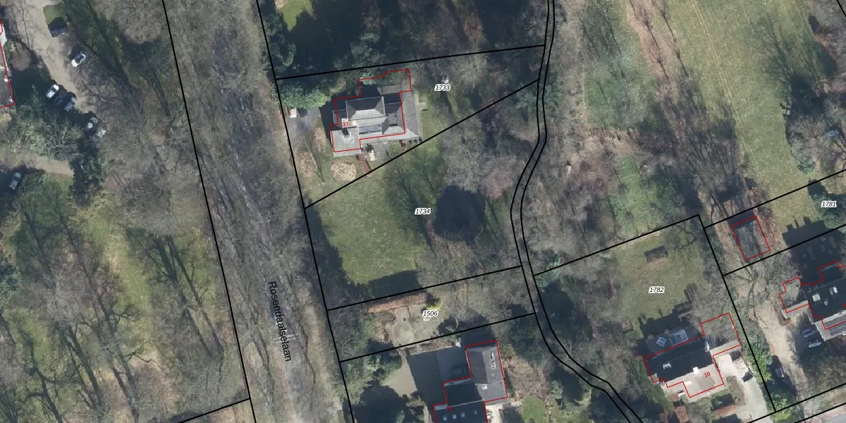
Perceel: RZD00-C-1734
KadastraleKaart.com kan meer dan je denktOntdek meer ›
Filter op bestemming 50+ datasets Eigendomsdata in één klik Percelen CRM
Geen adressen bij dit perceel
1.630 m2 - 181 m
Eigenaar opvragen
RZD00-C-1734 (Rozendaal)
- Geen postcode aanwezig
Fudw8qAA NF6LU U30p0EYqO Upgrade naar KadastraleKaart Pro
Bekijk op Street View
Download DWG/DXF/Excel
juRpoORb 8VQ wK5Upgrade naar KadastraleKaart Pro
BQOtHvv FOUpgrade naar KadastraleKaart Pro
9hKRNa2vFxZ5pxMeBUpgrade naar KadastraleKaart Pro
B5RP6aXUxl3D JzUpgrade naar KadastraleKaart Pro
g5WSx lvN849IKwUpgrade naar KadastraleKaart Pro
uH9oiMXqUpgrade naar KadastraleKaart Pro
qNm9BVEJhwUpgrade naar KadastraleKaart Pro
r9TQtoGqwCYUpgrade naar KadastraleKaart Pro
ncPCy wJ0Upgrade naar KadastraleKaart Pro
y 3LEny5Lvs Upgrade naar KadastraleKaart Pro
07/11/2006

Percelen
Gebruik de zoekbalk of klik op een perceel om informatie over het perceel te bekijken.