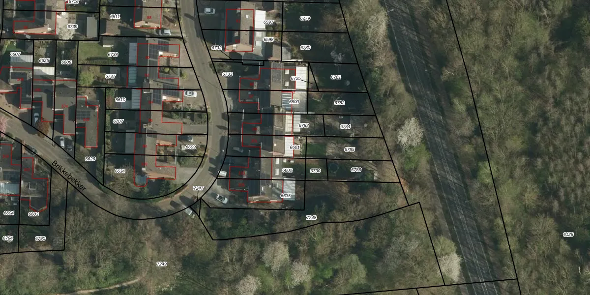
Perceel: SBG01-B-6601
203 m2 - 69 m
Eigenaar opvragen
SBG01-B-6601 (Schaesberg)
- 6372 DW
rCWYFvFGhoOVJxHvYYYUBy2Upgrade naar KadastraleKaart Pro
Verkoopprijs opvragen
Bekijk op Street View
Download DWG/DXF/Excel
w94h7kqOSaV9bCon5wTcT 2Upgrade naar KadastraleKaart Pro
1GP8Hh9IfVF1OTxcFHUpgrade naar KadastraleKaart Pro
zNezLvDi E Ccl7 Upgrade naar KadastraleKaart Pro
p8mrq9QCVd76Upgrade naar KadastraleKaart Pro
Ain1N6cimjVW9eoWpUpgrade naar KadastraleKaart Pro
oYmNN0itSlp2XenAF5bUpgrade naar KadastraleKaart Pro
MbcQPBYnPWnA6JeUpgrade naar KadastraleKaart Pro
SaPkvD1hjMVyLdVY7k7CUpgrade naar KadastraleKaart Pro
6mO7cfvixIcaUpgrade naar KadastraleKaart Pro
JWAHfNNYzKJsNFyIUpgrade naar KadastraleKaart Pro
27/08/2007

Percelen
Gebruik de zoekbalk of klik op een perceel om informatie over het perceel te bekijken.