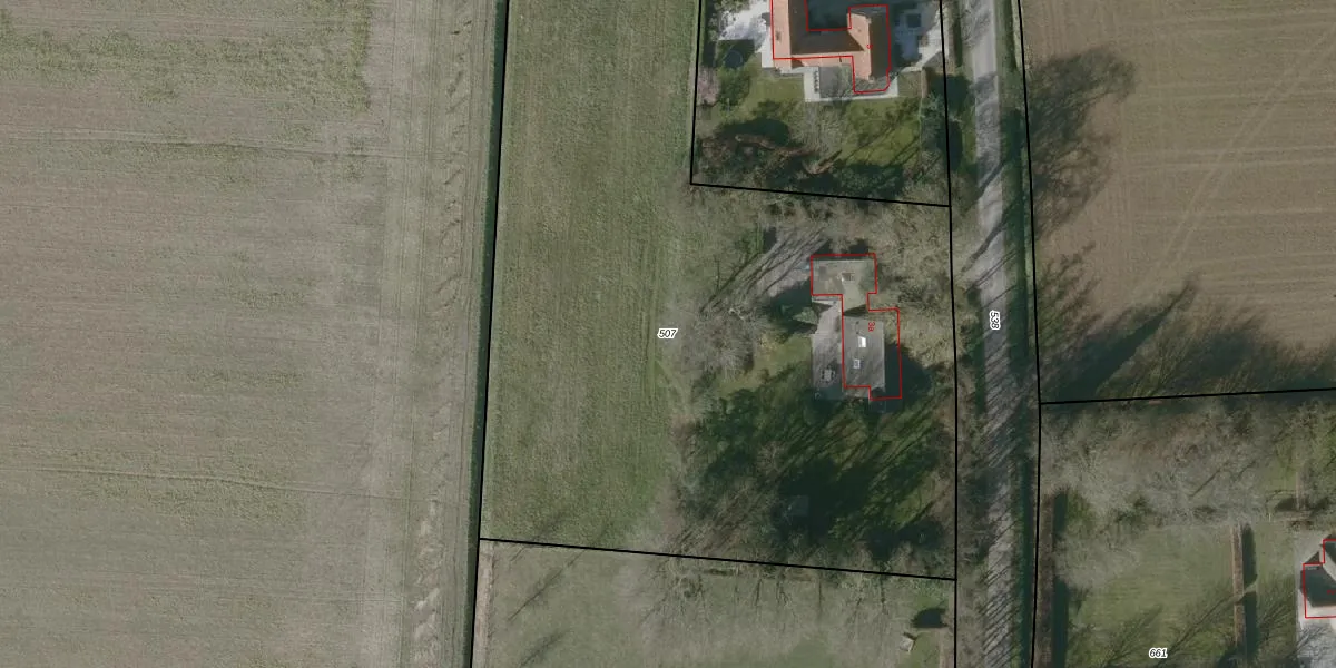
Perceel: SBG02-AC-507
KadastraleKaart.com kan meer dan je denktOntdek meer ›
Filter op bestemming 50+ datasets Eigendomsdata in één klik Percelen CRM
6.370 m2 - 420 m
Eigenaar opvragen
SBG02-AC-507 (Steenbergen)
- 4756 TG
QDaNPePk Icweyn 4R VUpgrade naar KadastraleKaart Pro
Bekijk op Street View
Download DWG/DXF/Excel
1OBRuqkIlvpmh LtGfPUpgrade naar KadastraleKaart Pro
ODxrouAw9ygPH AuJHU9KUpgrade naar KadastraleKaart Pro
nh6yvA KYR 8mWAC4Ol Upgrade naar KadastraleKaart Pro
686uH8vBrAofUpgrade naar KadastraleKaart Pro
9kJiviC Upgrade naar KadastraleKaart Pro
53g5i3or m5U7Upgrade naar KadastraleKaart Pro
yzakOPQRo j e0GF6OETcFUpgrade naar KadastraleKaart Pro
F84mFoXlhurSQtoBuUpgrade naar KadastraleKaart Pro
CzyUqQq8cW e9RrgT15g3WQUpgrade naar KadastraleKaart Pro
qeoK572rfnbZ04Upgrade naar KadastraleKaart Pro
16/08/2007

Percelen
Gebruik de zoekbalk of klik op een perceel om informatie over het perceel te bekijken.