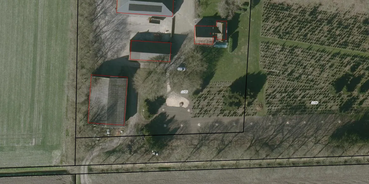
Perceel: SBG02-Y-1155

Adres bij perceel

Perceeloppervlakte & perceelomtrek

8.725 m2 - 372 m

Eigenaar van het perceel

Eigenaar opvragen

Kadastrale aanduiding

SBG02-Y-1155 (Steenbergen)

Postcode in perceel

    4651 PM

Type eigenaar

dUjbCO6STht81J9 kUpgrade naar KadastraleKaart Pro

Woning verkocht in 1996

Verkoopprijs opvragen

Google Street View

Bekijk op Street View

Download

Download DWG/DXF/Excel

Gerelateerde percelen

2 fG5YwBakzN JUpgrade naar KadastraleKaart Pro

Bebouwd/onbebouwd/water/groen

Q73AB GMdvUpgrade naar KadastraleKaart Pro
Administratieve eenheden
J BzKyoUtYc2SUpgrade naar KadastraleKaart Pro

Appartementsrechten

VboqJfY6i WZBh7q vmvYHRUpgrade naar KadastraleKaart Pro

Vergunningverlenende instanties

Q5 v EZKf 4BltsZUpgrade naar KadastraleKaart Pro

Bedekking (BGT)

2hJ7nvG2j F0mZT6FATUpgrade naar KadastraleKaart Pro

Publiekrechtelijke beperkingen

AOGWn5 trsUpgrade naar KadastraleKaart Pro

Grensnauwkeurigheid

FUxf7mgDOVwUpgrade naar KadastraleKaart Pro

Coördinaten hoekpunten perceel

NuOMvFf4XTj 6Upgrade naar KadastraleKaart Pro

Hoogteligging

bGzw1VgxX4u4k3k d1edUpgrade naar KadastraleKaart Pro

Laatst gewijzigd

06/10/2009

Kadastrale kaart met maatvoering 59,95
Kadastrale kaart pakket 28,95

Percelen

Gebruik de zoekbalk of klik op een perceel om informatie over het perceel te bekijken.
Locatie
Meten
Lagen
Download