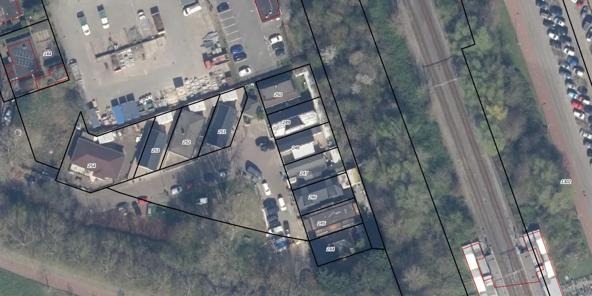
Perceel: SBK01-E-248
KadastraleKaart.com kan meer dan je denktOntdek meer ›
Filter op bestemming 50+ datasets Eigendomsdata in één klik Percelen CRM
172 m2 - 56 m
Eigenaar opvragen
SBK01-E-248 (Schiebroek)
- 3045 PN
gGL uG2ScY iSGCS4JvPyroUpgrade naar KadastraleKaart Pro
Bekijk op Street View
Download DWG/DXF/Excel
u1jw nHtdY 5Sh lUpgrade naar KadastraleKaart Pro
HwbrHp2LXntawd1id cUpgrade naar KadastraleKaart Pro
nlZaQASvBReAsUpgrade naar KadastraleKaart Pro
FrADVi8lA9YEUpgrade naar KadastraleKaart Pro
i0SaUC ddufJle bOOl ZnUpgrade naar KadastraleKaart Pro
OSSezfOj oAdnlwUpgrade naar KadastraleKaart Pro
qCp5FTBq38mfUpgrade naar KadastraleKaart Pro
WX YjST CLR7Upgrade naar KadastraleKaart Pro
mI3MtR3g P 5M Upgrade naar KadastraleKaart Pro
3wbD2uZN RAEQhuqZUpgrade naar KadastraleKaart Pro
18/12/2002

Percelen
Gebruik de zoekbalk of klik op een perceel om informatie over het perceel te bekijken.