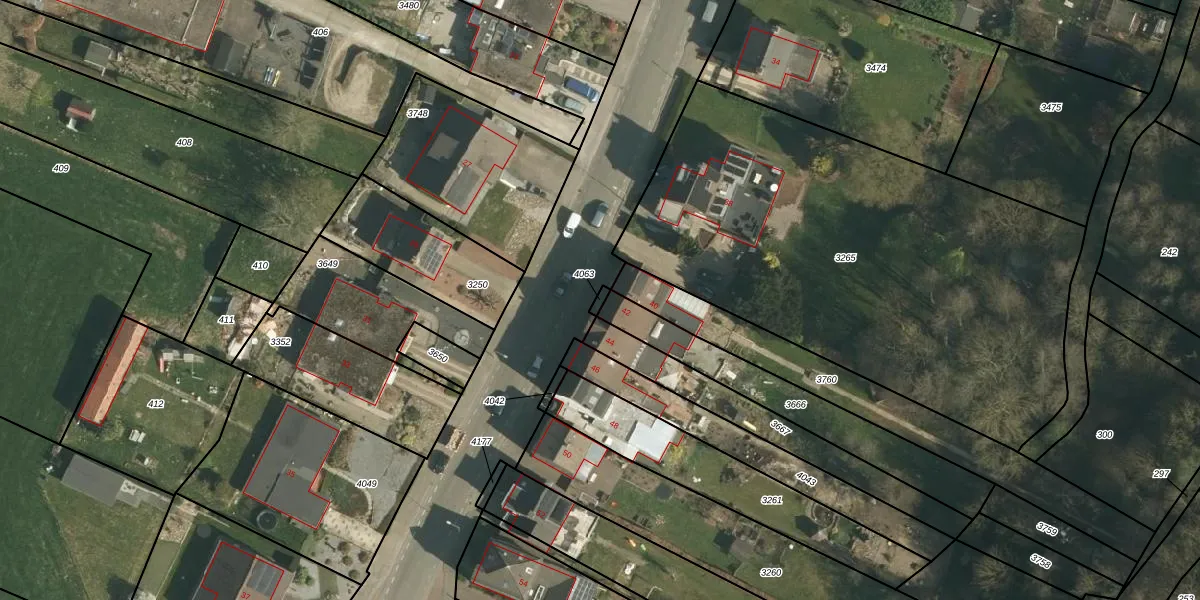
Perceel: SBK03-B-4063
KadastraleKaart.com kan meer dan je denktOntdek meer ›
Filter op bestemming 50+ datasets Eigendomsdata in één klik Percelen CRM
Geen adressen bij dit perceel
8 m2 - 13 m
Eigenaar opvragen
SBK03-B-4063 (Spaubeek)
- Geen postcode aanwezig
MIn 41duiNWqbNXqblQ87fe91rIiUpgrade naar KadastraleKaart Pro
Bekijk op Street View
Download DWG/DXF/Excel
e9cPElTK7IpHZLD0slEUpgrade naar KadastraleKaart Pro
SokZ AOtgok7jzSUpgrade naar KadastraleKaart Pro
J fCWXJF fo8cjUpgrade naar KadastraleKaart Pro
t VKUlj2g tjWEz1EUpgrade naar KadastraleKaart Pro
b hC0dFhDUgWSUpgrade naar KadastraleKaart Pro
iDQotfKETHS8V6gGzSEFUpgrade naar KadastraleKaart Pro
5q68 6ik29JVUpgrade naar KadastraleKaart Pro
cX9B4Bds8lL VUF22eXUpgrade naar KadastraleKaart Pro
dz TmmqbGduytZftPwZSUpgrade naar KadastraleKaart Pro
pOZeLaKnr k9zGvwlUpgrade naar KadastraleKaart Pro
25/08/2009

Percelen
Gebruik de zoekbalk of klik op een perceel om informatie over het perceel te bekijken.