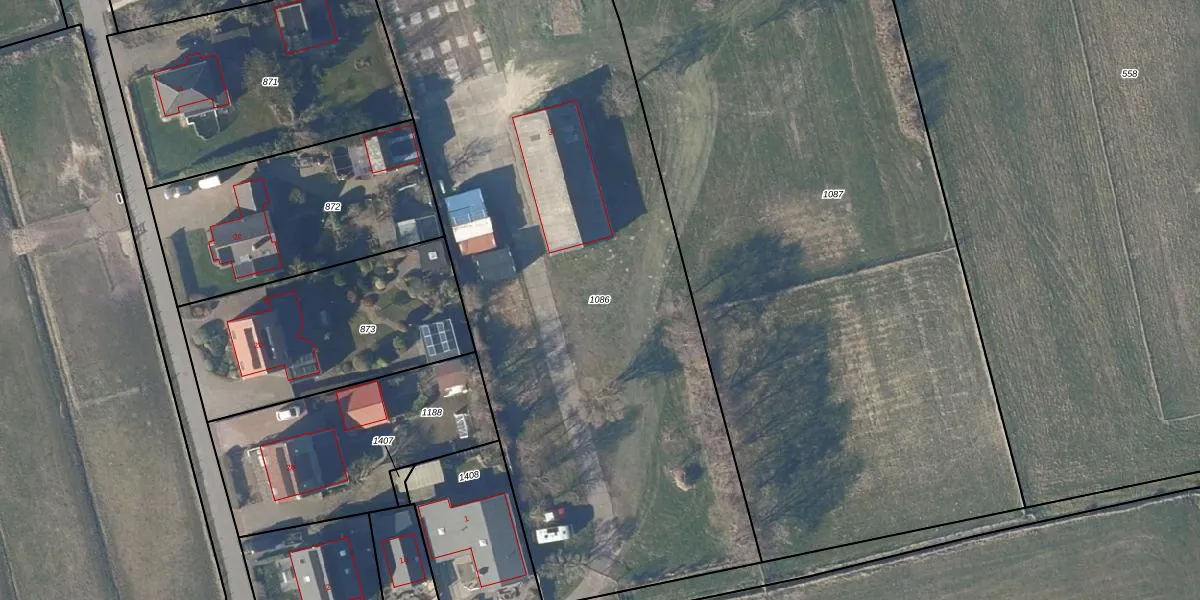
Perceel: SCH01-A-1086
KadastraleKaart.com kan meer dan je denktOntdek meer ›
Filter op bestemming 50+ datasets Eigendomsdata in één klik Percelen CRM
4.280 m2 - 303 m
Eigenaar opvragen
SCH01-A-1086 (Schoorl)
- 1871 GW
nkBiYWWC319y7fz Np9KXaUpgrade naar KadastraleKaart Pro
Bekijk op Street View
Download DWG/DXF/Excel
iymuSF EN rNoCUpgrade naar KadastraleKaart Pro
2nBCuPI QUpgrade naar KadastraleKaart Pro
tNY aNgULnyLNyC qcGmNUpgrade naar KadastraleKaart Pro
8O863pZoLKUpgrade naar KadastraleKaart Pro
I I SbbUm FUpgrade naar KadastraleKaart Pro
h9qrD8nslUJjNiZUpgrade naar KadastraleKaart Pro
IOOxBBKXyoScEhWAcUpgrade naar KadastraleKaart Pro
h jFHja5 S 7LwUpgrade naar KadastraleKaart Pro
JsNFMPnQ7yB1in pyJx2Upgrade naar KadastraleKaart Pro
kRMhm xUPNqelWjTUpgrade naar KadastraleKaart Pro
31/05/2001

Percelen
Gebruik de zoekbalk of klik op een perceel om informatie over het perceel te bekijken.