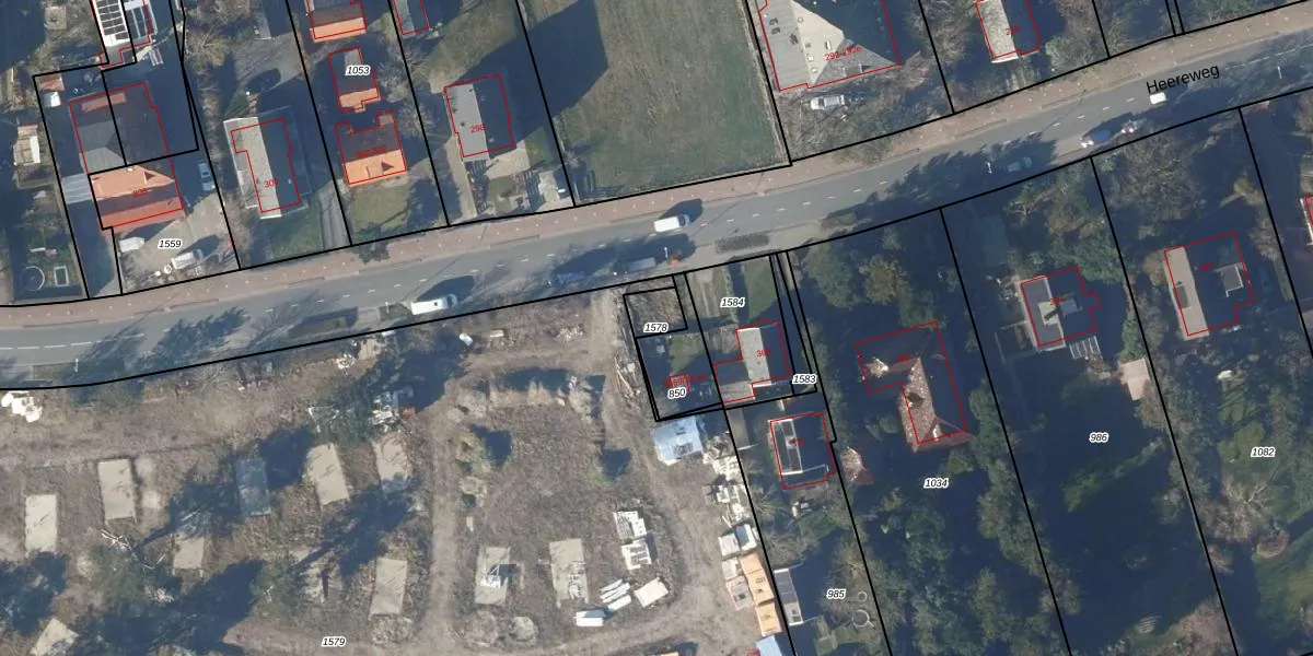
Perceel: SCH01-A-1578
KadastraleKaart.com kan meer dan je denktOntdek meer ›
Filter op bestemming 50+ datasets Eigendomsdata in één klik Percelen CRM
Geen adressen bij dit perceel
64 m2 - 77 m
Eigenaar opvragen
SCH01-A-1578 (Schoorl)
- Geen postcode aanwezig
pqAaUeCHZ56ty4OoNaECzfUpgrade naar KadastraleKaart Pro
Bekijk op Street View
Download DWG/DXF/Excel
BHZPvveoo9SKknmK7Upgrade naar KadastraleKaart Pro
l7C 9j8KUpgrade naar KadastraleKaart Pro
iRcrTX071KT DlyjzC fXUpgrade naar KadastraleKaart Pro
kFT 3a1DUrMfMtQ ObTYX Upgrade naar KadastraleKaart Pro
KHU5EAdTGFtBYUpgrade naar KadastraleKaart Pro
1XtOl 14t1JGarPhy3Upgrade naar KadastraleKaart Pro
VVeLNr9yQ tEUpgrade naar KadastraleKaart Pro
RZiYtaMWJGCUpgrade naar KadastraleKaart Pro
1nGTRT9YUpgrade naar KadastraleKaart Pro
TfDr3lBhXxLB68SsUpgrade naar KadastraleKaart Pro
22/12/2022

Percelen
Gebruik de zoekbalk of klik op een perceel om informatie over het perceel te bekijken.