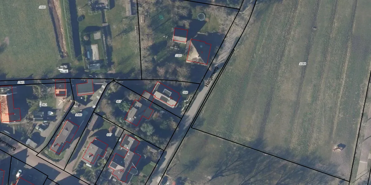
Perceel: SCH01-A-958
KadastraleKaart.com kan meer dan je denktOntdek meer ›
Filter op bestemming 50+ datasets Eigendomsdata in één klik Percelen CRM
496 m2 - 111 m
Eigenaar opvragen
SCH01-A-958 (Schoorl)
- 1871 PJ
jjdFRIwtGN11Vanq MUpgrade naar KadastraleKaart Pro
Verkoopprijs opvragen
Bekijk op Street View
Download DWG/DXF/Excel
dh k6v7T6 Upgrade naar KadastraleKaart Pro
eJznUkZbDjd8yY2ymT Upgrade naar KadastraleKaart Pro
BBBBf TUpgrade naar KadastraleKaart Pro
pMxE39FaybUpgrade naar KadastraleKaart Pro
qLoFnVL1nm1gt77Upgrade naar KadastraleKaart Pro
JfM4qoR24 Yn5bC9Upgrade naar KadastraleKaart Pro
lI9 Z4j6c Gq6h Upgrade naar KadastraleKaart Pro
Foz6du92Pad7 uUpgrade naar KadastraleKaart Pro
3GU59CdT9oWPI D0kTCMUpgrade naar KadastraleKaart Pro
ZLh4TgMsUpgrade naar KadastraleKaart Pro
28/06/2002

Percelen
Gebruik de zoekbalk of klik op een perceel om informatie over het perceel te bekijken.