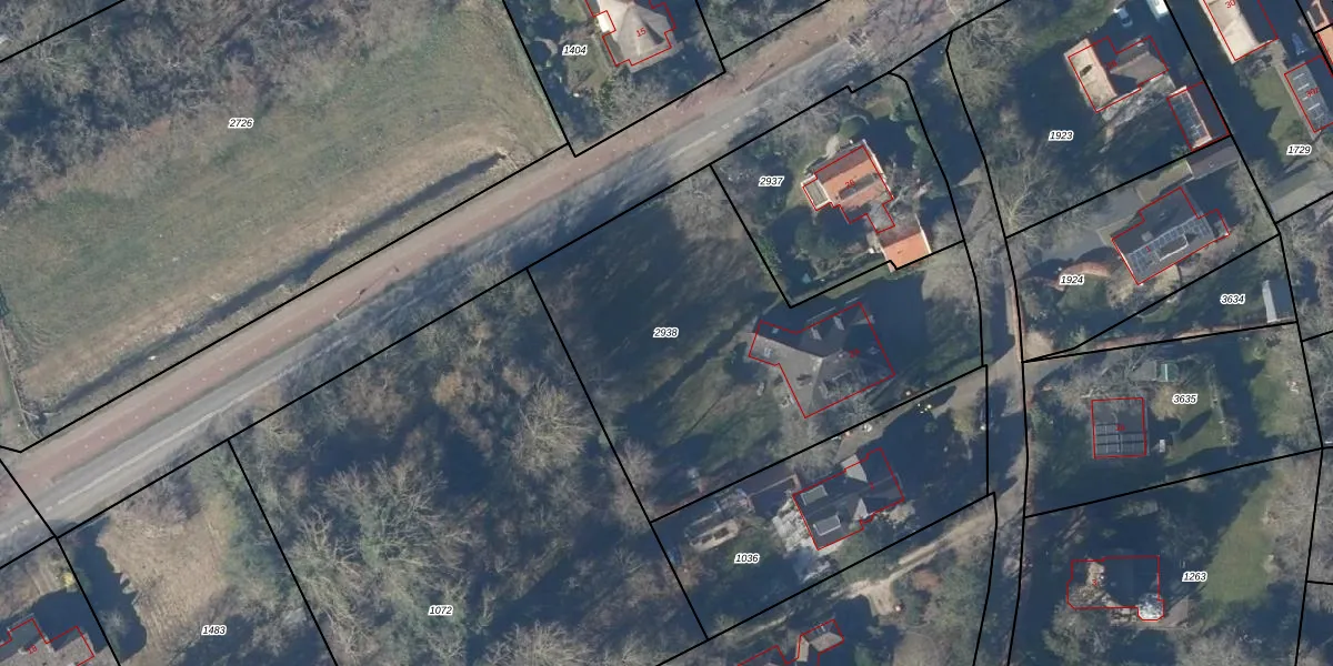
Perceel: SCH01-C-2938
KadastraleKaart.com kan meer dan je denktOntdek meer ›
Filter op bestemming 50+ datasets Eigendomsdata in één klik Percelen CRM
1.937 m2 - 203 m
Eigenaar opvragen
SCH01-C-2938 (Schoorl)
- 1871 CC
qWIm 6w 6 eaZiT e oyma5zA jUpgrade naar KadastraleKaart Pro
Bekijk op Street View
Download DWG/DXF/Excel
9Uf 8rikgn32qZCEUpgrade naar KadastraleKaart Pro
VzFQSfH OFUpgrade naar KadastraleKaart Pro
2Sc4QbDkod5pibmDb3Upgrade naar KadastraleKaart Pro
uaX6femd67QZfE kUpgrade naar KadastraleKaart Pro
3k7AUkHPLNqux1qDis0Upgrade naar KadastraleKaart Pro
Kfouv Ye 5Upgrade naar KadastraleKaart Pro
czQq6SGzVVEzv2soJ01U FxUpgrade naar KadastraleKaart Pro
y3z 707EqInP JHsUpgrade naar KadastraleKaart Pro
5sCgR2FFiUpgrade naar KadastraleKaart Pro
DBq5AO1C4sUMFR i4qeUpgrade naar KadastraleKaart Pro
03/12/2007

Percelen
Gebruik de zoekbalk of klik op een perceel om informatie over het perceel te bekijken.