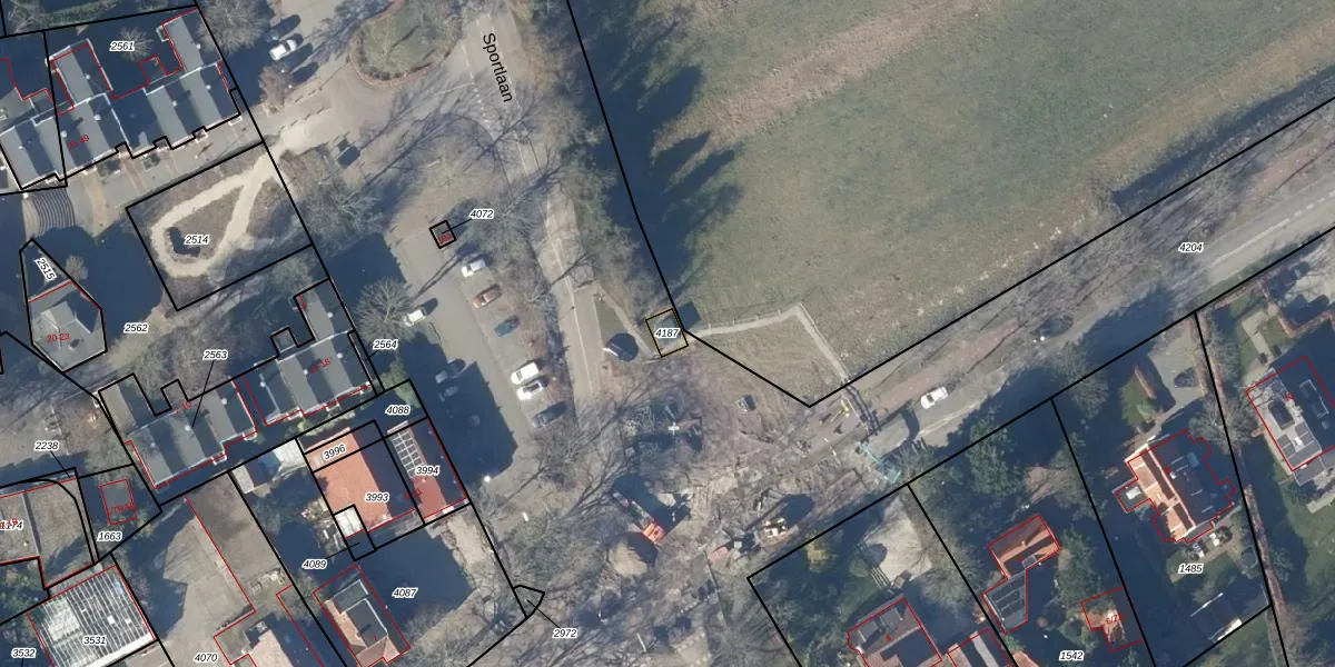
Perceel: SCH01-C-4187
KadastraleKaart.com kan meer dan je denktOntdek meer ›
Filter op bestemming 50+ datasets Eigendomsdata in één klik Percelen CRM
Geen adressen bij dit perceel
26 m2 - 21 m
Eigenaar opvragen
SCH01-C-4187 (Schoorl)
- Geen postcode aanwezig
U S2oQcPsMBQBY54XqUpgrade naar KadastraleKaart Pro
Bekijk op Street View
Download DWG/DXF/Excel
iDqkNiZ7 WUMFNUpgrade naar KadastraleKaart Pro
E FBPKp I03aUpgrade naar KadastraleKaart Pro
oU50ktxlPUpgrade naar KadastraleKaart Pro
8HTc3a Upgrade naar KadastraleKaart Pro
PWf lDGUA3xC5eDUpgrade naar KadastraleKaart Pro
ASQaRVqTG47OL0AGIxBUpgrade naar KadastraleKaart Pro
BneEwKsAIxq8qXABrkf DUpgrade naar KadastraleKaart Pro
apLF iTNeLOeg97 0e5Upgrade naar KadastraleKaart Pro
PpvaSeO WrZSdNJ3OIvUpgrade naar KadastraleKaart Pro
ZuyIEbxdYD0n9Upgrade naar KadastraleKaart Pro
19/11/2024

Percelen
Gebruik de zoekbalk of klik op een perceel om informatie over het perceel te bekijken.