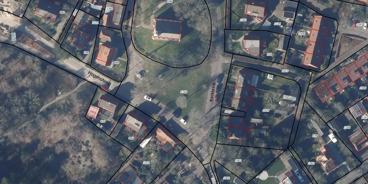
Perceel: SCH01-F-1743
KadastraleKaart.com kan meer dan je denktOntdek meer ›
Filter op bestemming 50+ datasets Eigendomsdata in één klik Percelen CRM
Geen adressen bij dit perceel
3.633 m2 - 575 m
Eigenaar opvragen
SCH01-F-1743 (Schoorl)
- Geen postcode aanwezig
IdfetpMYsR tUrjMFjsy2Lw3gUpgrade naar KadastraleKaart Pro
Bekijk op Street View
Download DWG/DXF/Excel
0mHgRtl2NRfXdmkEmUpgrade naar KadastraleKaart Pro
V7pofO7yumpUpgrade naar KadastraleKaart Pro
2E2NG1OQ8aDhdpczLPSiUpgrade naar KadastraleKaart Pro
BAz3cisE0Upgrade naar KadastraleKaart Pro
76A ReoAOZ2P5MlUpgrade naar KadastraleKaart Pro
ycCam3LihUYqUpgrade naar KadastraleKaart Pro
JGSOB9gamiIR YnFQVUpgrade naar KadastraleKaart Pro
jChbD MbNYtpUpgrade naar KadastraleKaart Pro
Q1mby8Cz5yXUpgrade naar KadastraleKaart Pro
Sv2EUGuZK6Upgrade naar KadastraleKaart Pro
27/01/2025

Percelen
Gebruik de zoekbalk of klik op een perceel om informatie over het perceel te bekijken.