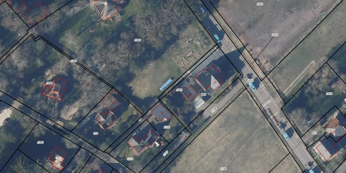
Perceel: SCH01-F-1901
KadastraleKaart.com kan meer dan je denktOntdek meer ›
Filter op bestemming 50+ datasets Eigendomsdata in één klik Percelen CRM
Geen adressen bij dit perceel
91 m2 - 96 m
Eigenaar opvragen
SCH01-F-1901 (Schoorl)
- Geen postcode aanwezig
0PVR5fYdiGyiRjmJ AmpRRoIpWwprpUpgrade naar KadastraleKaart Pro
Bekijk op Street View
Download DWG/DXF/Excel
9G8VtNqrJ0Upgrade naar KadastraleKaart Pro
2z 7 zELJI8C6nUpgrade naar KadastraleKaart Pro
F2RM37efb x2Upgrade naar KadastraleKaart Pro
8w3RjB9 CsiUpgrade naar KadastraleKaart Pro
uYf twvX3uv6CczUJUpgrade naar KadastraleKaart Pro
bc7WzR949CsXUbUpgrade naar KadastraleKaart Pro
DTdSMK4Gy2e6p3n QYUpgrade naar KadastraleKaart Pro
9B Uy4kSarUIV4lUoGDUpgrade naar KadastraleKaart Pro
3XIwLwerLgQAtKUpgrade naar KadastraleKaart Pro
ySTUb9 r1vAlK0TmdF0Upgrade naar KadastraleKaart Pro
07/12/2021

Percelen
Gebruik de zoekbalk of klik op een perceel om informatie over het perceel te bekijken.