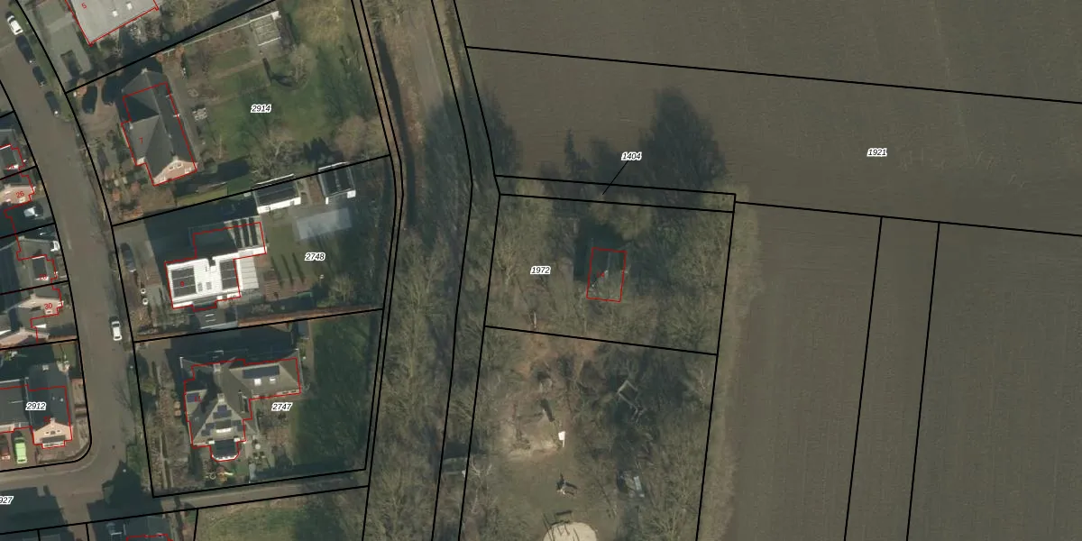
Perceel: SCH03-B-1972
KadastraleKaart.com kan meer dan je denktOntdek meer ›
Filter op bestemming 50+ datasets Eigendomsdata in één klik Percelen CRM
1.110 m2 - 138 m
Eigenaar opvragen
SCH03-B-1972 (Schaijk)
- Geen postcode aanwezig
DzGQRHK0u9QqnU88 HMGekUpgrade naar KadastraleKaart Pro
Bekijk op Street View
Download DWG/DXF/Excel
KZ 4Ir54fuUpgrade naar KadastraleKaart Pro
deRT1fO6glUpgrade naar KadastraleKaart Pro
QmJ5cYo6cgXeoqak6KQuUUpgrade naar KadastraleKaart Pro
wULdhIqU9BkuNJppQUpgrade naar KadastraleKaart Pro
24fr 4jD PVFakbUA rPzUpgrade naar KadastraleKaart Pro
rPZaGibnYbK5N kxvp AFUpgrade naar KadastraleKaart Pro
d7NJ6BmPUpgrade naar KadastraleKaart Pro
ygNuv1Y1G jEoygUGpNU9 Upgrade naar KadastraleKaart Pro
ClSZ0EB5b 9FUpgrade naar KadastraleKaart Pro
FLGu3YVAnPUpgrade naar KadastraleKaart Pro
01/09/2005

Percelen
Gebruik de zoekbalk of klik op een perceel om informatie over het perceel te bekijken.