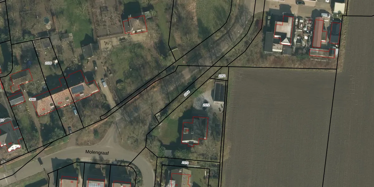
Perceel: SCH03-B-2254
KadastraleKaart.com kan meer dan je denktOntdek meer ›
Filter op bestemming 50+ datasets Eigendomsdata in één klik Percelen CRM
Geen adressen bij dit perceel
180 m2 - 96 m
Eigenaar opvragen
SCH03-B-2254 (Schaijk)
- Geen postcode aanwezig
bgMudn5TyMLg66l LHnTr7FoUpgrade naar KadastraleKaart Pro
Bekijk op Street View
Download DWG/DXF/Excel
IcCIFE lvUpgrade naar KadastraleKaart Pro
v69pKgAWa mUpgrade naar KadastraleKaart Pro
PDsstQLgpOUpgrade naar KadastraleKaart Pro
u j9p1e KIzv10fUpgrade naar KadastraleKaart Pro
wnM95 p5Wjrn90 IOA8Upgrade naar KadastraleKaart Pro
U9uwwFD Upgrade naar KadastraleKaart Pro
99 ySv TpyMeH Upgrade naar KadastraleKaart Pro
H4EfDr hFwMJ6AgTbnrLWJBUpgrade naar KadastraleKaart Pro
3 W 5Z2 ASOnO cAGPBUpgrade naar KadastraleKaart Pro
lQ IZwvDf8r mMKBC22vQUpgrade naar KadastraleKaart Pro
12/07/2011

Percelen
Gebruik de zoekbalk of klik op een perceel om informatie over het perceel te bekijken.