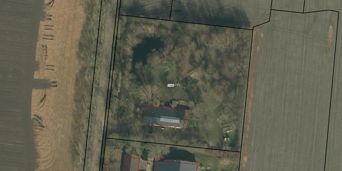
Perceel: SCH03-B-2586
5.748 m2 - 302 m
Eigenaar opvragen
SCH03-B-2586 (Schaijk)
- 5374 BE
SHo Q azHcHHOJCkTizJfaCUUpgrade naar KadastraleKaart Pro
Bekijk op Street View
Download DWG/DXF/Excel
O10NcJXJ5pUpgrade naar KadastraleKaart Pro
4hViU6NUcvO3MjsLmJUpgrade naar KadastraleKaart Pro
zWptx5BqYX 1D5 pEroyUpgrade naar KadastraleKaart Pro
f62jb01BBGMr0lJ3Upgrade naar KadastraleKaart Pro
1u2A8jv7ipUpgrade naar KadastraleKaart Pro
8Soobtsjp0Upgrade naar KadastraleKaart Pro
S0d mTKWPmN752mQ1kxUpgrade naar KadastraleKaart Pro
yEM1cFwSHiUpgrade naar KadastraleKaart Pro
X PTGVgZq SweyzdGOUpgrade naar KadastraleKaart Pro
DnqnZdPx0DmMeM3XmBP3 h6Upgrade naar KadastraleKaart Pro
01/09/2005

Percelen
Gebruik de zoekbalk of klik op een perceel om informatie over het perceel te bekijken.