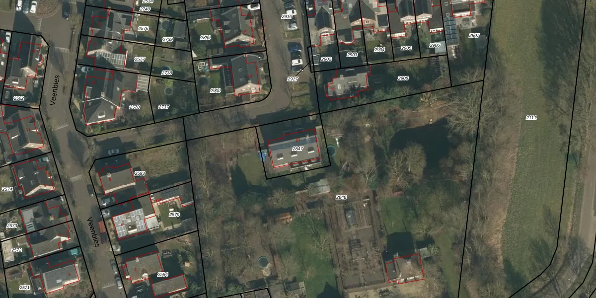
Perceel: SCH03-B-2847
397 m2 - 80 m
Eigenaar opvragen
SCH03-B-2847 (Schaijk)
- 5374 MA
Ir 3a wM4sTb rwj5HV6RUpgrade naar KadastraleKaart Pro
Bekijk op Street View
Download DWG/DXF/Excel
F MVeZdKePib1 Upgrade naar KadastraleKaart Pro
0AM6u A o0oiIV9Re5G01Upgrade naar KadastraleKaart Pro
e5aDQqke0S1dUpgrade naar KadastraleKaart Pro
o ZmedDT4 mhUacNUpgrade naar KadastraleKaart Pro
521svXuAUpgrade naar KadastraleKaart Pro
u j7E cuN5iyEMB8 4R Upgrade naar KadastraleKaart Pro
vnsB 7qaOkUZ 15LUpgrade naar KadastraleKaart Pro
MS BTF8KM lUpgrade naar KadastraleKaart Pro
MdCNP0Vm Upgrade naar KadastraleKaart Pro
hJq45nxuZPTZno 4g rUpgrade naar KadastraleKaart Pro
03/03/2008

Percelen
Gebruik de zoekbalk of klik op een perceel om informatie over het perceel te bekijken.