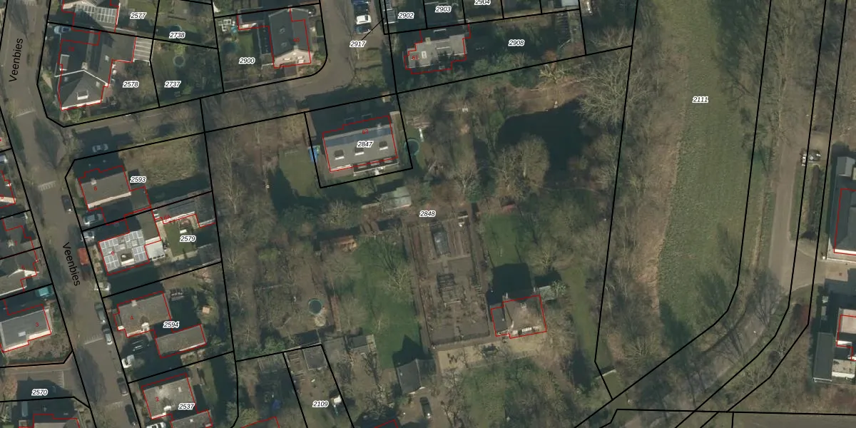
Perceel: SCH03-B-2848
7.146 m2 - 411 m
Eigenaar opvragen
SCH03-B-2848 (Schaijk)
- 5374 AG
Esj2uIASbuEYwIfefNPGVUpgrade naar KadastraleKaart Pro
Bekijk op Street View
Download DWG/DXF/Excel
gWMbMGdWomQ3qBrnuVUpgrade naar KadastraleKaart Pro
rXV JXtMVfmstNlZLXfFgUpgrade naar KadastraleKaart Pro
FMU0QUFf8apCQSjVTX4Lbh9Upgrade naar KadastraleKaart Pro
7OYhZczrKusVxcEUpgrade naar KadastraleKaart Pro
1rMoAGweOeMUpgrade naar KadastraleKaart Pro
iJwu GTZ7OhjtUpgrade naar KadastraleKaart Pro
vR16THMe7f75Ixscb JUpgrade naar KadastraleKaart Pro
CMtX9IzZ4LN3X4Upgrade naar KadastraleKaart Pro
CzfboBg6Josha m5pUpgrade naar KadastraleKaart Pro
DP8 pRsad4OWEk4r5Upgrade naar KadastraleKaart Pro
12/07/2011

Percelen
Gebruik de zoekbalk of klik op een perceel om informatie over het perceel te bekijken.