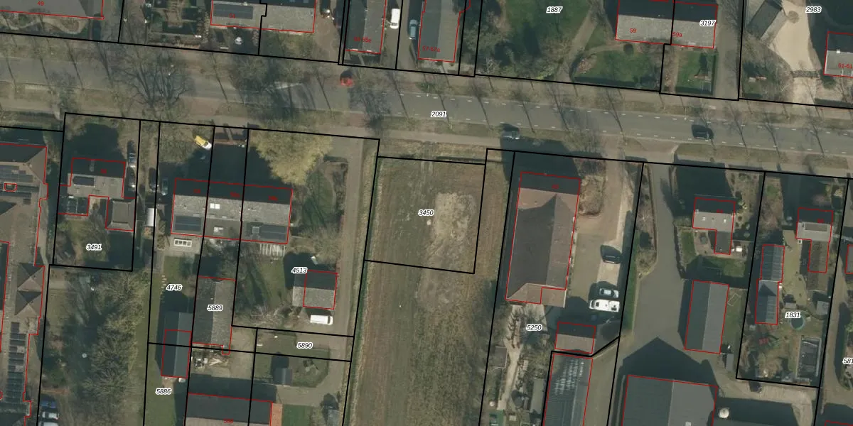
Perceel: SCH03-C-3450
Geen adressen bij dit perceel
645 m2 - 102 m
Eigenaar opvragen
SCH03-C-3450 (Schaijk)
- Geen postcode aanwezig
lQ 0t0FK kPXr IMslmh jCpUpgrade naar KadastraleKaart Pro
Bekijk op Street View
Download DWG/DXF/Excel
GotKlY9d6pvjQbn1TUpgrade naar KadastraleKaart Pro
L7s1 VaI3TRTSS9XkUpgrade naar KadastraleKaart Pro
O1YlEJ eAWeUpgrade naar KadastraleKaart Pro
mssVW K3fMxXwr Upgrade naar KadastraleKaart Pro
fXozO16 Upgrade naar KadastraleKaart Pro
4FkOZdgs MUpgrade naar KadastraleKaart Pro
wkZXi5JIwTKkIJd MiWAUpgrade naar KadastraleKaart Pro
jo3 Dl7d1 zWUpgrade naar KadastraleKaart Pro
uducP u6V3FImP WLUpgrade naar KadastraleKaart Pro
g53 b6FPiqbsBv1ThyVk8bUpgrade naar KadastraleKaart Pro
21/09/2006

Percelen
Gebruik de zoekbalk of klik op een perceel om informatie over het perceel te bekijken.